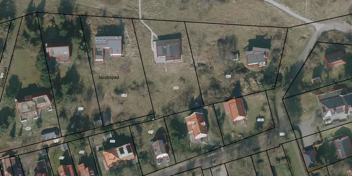
Perceel: SMN01-A-600
KadastraleKaart.com kan meer dan je denktOntdek meer ›
Filter op bestemming 50+ datasets Eigendomsdata in één klik Percelen CRM
1.545 m2 - 167 m
Eigenaar opvragen
SMN01-A-600 (Schiermonnikoog)
- 9166 NN
1qhSVI6leZPHt8SlXUpgrade naar KadastraleKaart Pro
Verkoopprijs opvragen
Bekijk op Street View
Download DWG/DXF/Excel
FikYVVgcjUpgrade naar KadastraleKaart Pro
UnV aP jxgKt K1LLUpgrade naar KadastraleKaart Pro
aoW0PimSnzt5avUpgrade naar KadastraleKaart Pro
6xezGvgYaNBd0tUpgrade naar KadastraleKaart Pro
n6eZzr Xeg3VSeKP2Upgrade naar KadastraleKaart Pro
8sZcJp8m0fl2de 34 QVyUpgrade naar KadastraleKaart Pro
Sek xVx5S50Upgrade naar KadastraleKaart Pro
W28pXQceWR4S2KVNzqXg4Upgrade naar KadastraleKaart Pro
TAascRxup0g7AreTtUpgrade naar KadastraleKaart Pro
EBf MJdeyUpgrade naar KadastraleKaart Pro
03/08/2010

Percelen
Gebruik de zoekbalk of klik op een perceel om informatie over het perceel te bekijken.