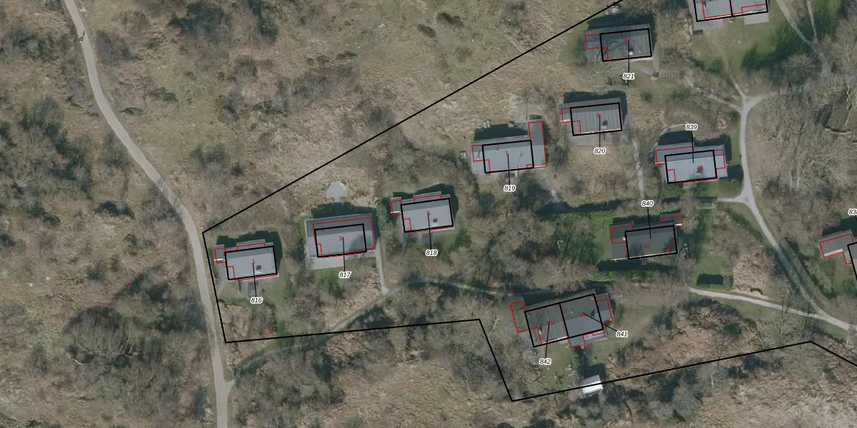
Perceel: SMN01-A-818
KadastraleKaart.com kan meer dan je denktOntdek meer ›
Filter op bestemming 50+ datasets Eigendomsdata in één klik Percelen CRM
73 m2 - 36 m
Eigenaar opvragen
SMN01-A-818 (Schiermonnikoog)
- 9166 RE
PzynwizCLkTH0thbzUpgrade naar KadastraleKaart Pro
Bekijk op Street View
Download DWG/DXF/Excel
DK dh4Mi NRLc5IdY7Vu QUpgrade naar KadastraleKaart Pro
rU K5E9MUpgrade naar KadastraleKaart Pro
ms1rOAIh ejRjd9AHrpQUpgrade naar KadastraleKaart Pro
jnkemf8Of9jgNA DpTUpgrade naar KadastraleKaart Pro
IoXoWcP2NZMqKidU Upgrade naar KadastraleKaart Pro
yMusg3RxL4PNHyrlQrkfKUpgrade naar KadastraleKaart Pro
5oj Eecv7dHuuh0UF1pMBUpgrade naar KadastraleKaart Pro
fskWMLyjEhh8vvJo kgLqVjUpgrade naar KadastraleKaart Pro
2mN83QBzN EvFdnjNUpgrade naar KadastraleKaart Pro
Ol4xrBD UUpgrade naar KadastraleKaart Pro
15/01/1998

Percelen
Gebruik de zoekbalk of klik op een perceel om informatie over het perceel te bekijken.