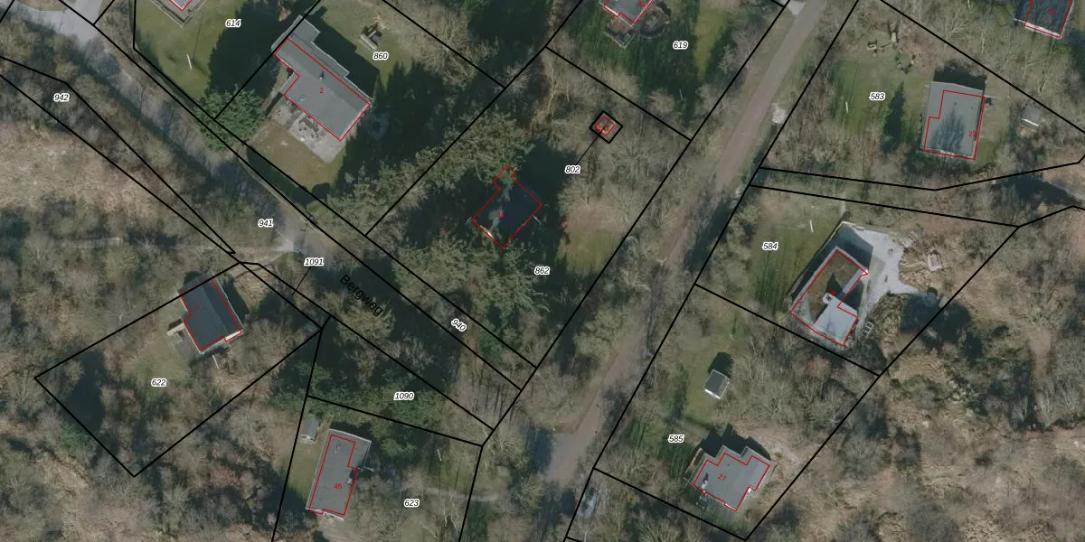
Perceel: SMN01-A-862
KadastraleKaart.com kan meer dan je denktOntdek meer ›
Filter op bestemming 50+ datasets Eigendomsdata in één klik Percelen CRM
1.692 m2 - 188 m
Eigenaar opvragen
SMN01-A-862 (Schiermonnikoog)
- 9166 RN
qqPbeYneG3jQJmmCNBQWe6RUpgrade naar KadastraleKaart Pro
Bekijk op Street View
Download DWG/DXF/Excel
BuSQOMHP JXOKEnUpgrade naar KadastraleKaart Pro
FFalLh6FLZ4 U SQbkUpgrade naar KadastraleKaart Pro
BTBW Cf055jRUpgrade naar KadastraleKaart Pro
QE8N71B3kpu2LYQUpgrade naar KadastraleKaart Pro
qEHy2DcK8j1HZLb0al Upgrade naar KadastraleKaart Pro
7 mByfr euAFUpgrade naar KadastraleKaart Pro
f8BwWA BOKIU 3lfMhFjUpgrade naar KadastraleKaart Pro
Bw5 NJCmyn ixL3llwdKTqWUpgrade naar KadastraleKaart Pro
DLpumlrj6kZUpgrade naar KadastraleKaart Pro
JYCkMowdAqdnFSWUpgrade naar KadastraleKaart Pro
17/05/2004

Percelen
Gebruik de zoekbalk of klik op een perceel om informatie over het perceel te bekijken.