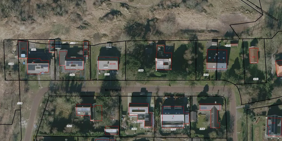
Perceel: SMN01-B-2488
KadastraleKaart.com kan meer dan je denktOntdek meer ›
Filter op bestemming 50+ datasets Eigendomsdata in één klik Percelen CRM
1.420 m2 - 156 m
Eigenaar opvragen
SMN01-B-2488 (Schiermonnikoog)
- 9166 LR
b Zdi4GhLqtl hZfUpgrade naar KadastraleKaart Pro
Verkoopprijs opvragen
Bekijk op Street View
Download DWG/DXF/Excel
l PFz4C9R389 s9Upgrade naar KadastraleKaart Pro
r gJTt tVjxO5WHp DaUpgrade naar KadastraleKaart Pro
vSfyH Y1 DUpgrade naar KadastraleKaart Pro
ODQl97C2fJFIf4Upgrade naar KadastraleKaart Pro
60I2Be EWo 7oUpgrade naar KadastraleKaart Pro
t07LW e67hsPUpgrade naar KadastraleKaart Pro
vXisTq 3aQAvr4Upgrade naar KadastraleKaart Pro
DYtl U1w Q91xUk VUpgrade naar KadastraleKaart Pro
goIxdYQZT8Upgrade naar KadastraleKaart Pro
sW8wrJfA1Upgrade naar KadastraleKaart Pro
29/05/2002

Percelen
Gebruik de zoekbalk of klik op een perceel om informatie over het perceel te bekijken.