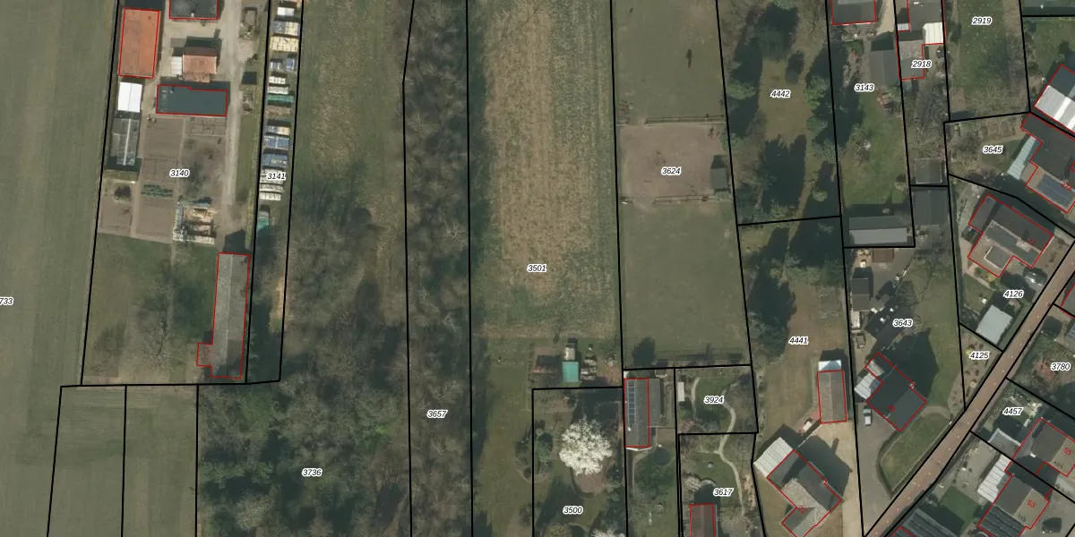
Perceel: SMN02-A-3501
Geen adressen bij dit perceel
3.450 m2 - 429 m
Eigenaar opvragen
SMN02-A-3501 (Swalmen)
- Geen postcode aanwezig
0ulefcn2sVNphEg3uu S RUpgrade naar KadastraleKaart Pro
Bekijk op Street View
Download DWG/DXF/Excel
iKJDeTKb3kb0dQrxOUpgrade naar KadastraleKaart Pro
O07BPsOacFwfNCN1wABkQykUpgrade naar KadastraleKaart Pro
U4c d QLHn1yXL d9kni JUpgrade naar KadastraleKaart Pro
fEE swhd5BjlwbUpgrade naar KadastraleKaart Pro
RnmGS1 g06IXSb KzUpgrade naar KadastraleKaart Pro
uVX jl8Q 1 yhGUpgrade naar KadastraleKaart Pro
DSFycfLmuU18Upgrade naar KadastraleKaart Pro
w8stwbrxryvuhUpgrade naar KadastraleKaart Pro
K7n2T5RX6wUpgrade naar KadastraleKaart Pro
8VRwUXpxMan2SS74v5CQQGUpgrade naar KadastraleKaart Pro
11/07/2022

Percelen
Gebruik de zoekbalk of klik op een perceel om informatie over het perceel te bekijken.