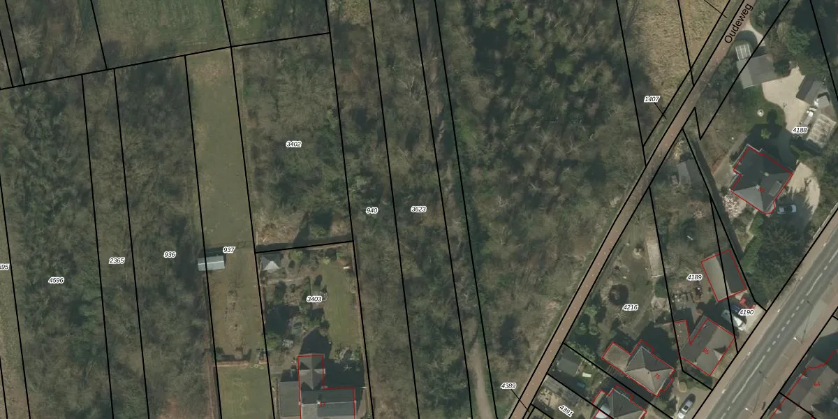
Perceel: SMN02-A-3623
Geen adressen bij dit perceel
1.440 m2 - 281 m
Eigenaar opvragen
SMN02-A-3623 (Swalmen)
- Geen postcode aanwezig
6xXeU2U Ypur8jMIeoYg YUvWg0mAUpgrade naar KadastraleKaart Pro
Bekijk op Street View
Download DWG/DXF/Excel
mL6k81fJXUNU2svUpgrade naar KadastraleKaart Pro
sSbjlaebUqUpgrade naar KadastraleKaart Pro
AgziChmz LHOaLUpgrade naar KadastraleKaart Pro
PV6 X9 8F OujPUpgrade naar KadastraleKaart Pro
1JfefO G2mEpe4pIjo1XDdUpgrade naar KadastraleKaart Pro
lP4ENsDNNUpgrade naar KadastraleKaart Pro
VWYj1LvLm GHvwEUpgrade naar KadastraleKaart Pro
9LTPKNVSHcTJYweh1 LUpgrade naar KadastraleKaart Pro
8JX8 liOKlUpgrade naar KadastraleKaart Pro
3sRnZnE wlCBcRfOs2PcAXUpgrade naar KadastraleKaart Pro
21/12/2011

Percelen
Gebruik de zoekbalk of klik op een perceel om informatie over het perceel te bekijken.