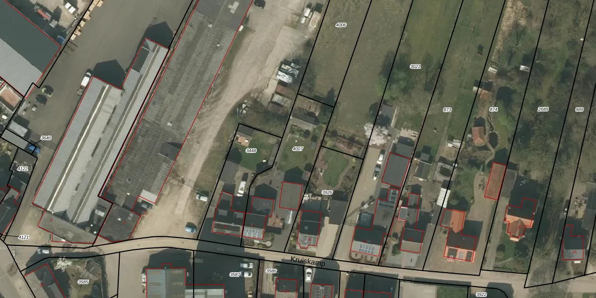
Perceel: SMN02-A-4007
785 m2 - 136 m
Eigenaar opvragen
SMN02-A-4007 (Swalmen)
- 6071 KM
PUxlkM2bJH6L6L4cLQWLPxtBzo85kUpgrade naar KadastraleKaart Pro
Bekijk op Street View
Download DWG/DXF/Excel
VqxyhvhUnYY3WVzB4 iqUpgrade naar KadastraleKaart Pro
xApPNBA1jYuR jV6K4hUpgrade naar KadastraleKaart Pro
22EjIrhvMBF iUpgrade naar KadastraleKaart Pro
dUn s dhphwN5KUpgrade naar KadastraleKaart Pro
Ck6N6uVTUpgrade naar KadastraleKaart Pro
J AqL5WMtUqvM8 zUpgrade naar KadastraleKaart Pro
64ycotPtv ec1 QaP3P5U7jUpgrade naar KadastraleKaart Pro
xT4LpiOdg6RoZVi39bUpgrade naar KadastraleKaart Pro
E jYeVU9vkJh8qkOIgX 2 lUpgrade naar KadastraleKaart Pro
U7lSfR4 BJ CVMtSfEy Upgrade naar KadastraleKaart Pro
29/10/2012

Percelen
Gebruik de zoekbalk of klik op een perceel om informatie over het perceel te bekijken.