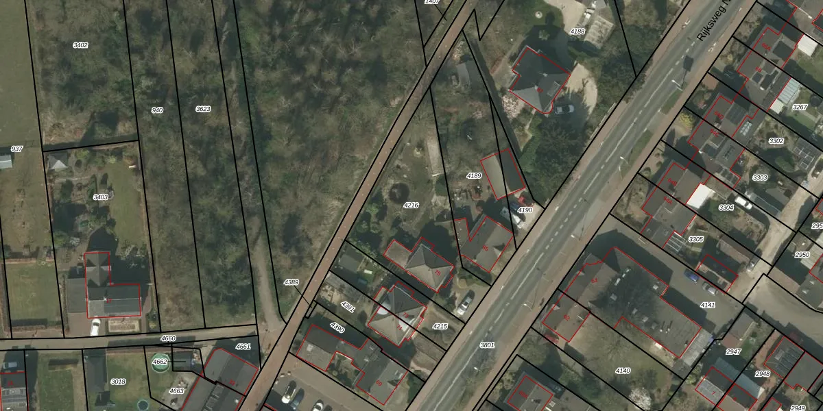
Perceel: SMN02-A-4216
KadastraleKaart.com kan meer dan je denktOntdek meer ›
Filter op bestemming 50+ datasets Eigendomsdata in één klik Percelen CRM
804 m2 - 143 m
Eigenaar opvragen
SMN02-A-4216 (Swalmen)
- 6071 KT
k sHbPD8XfbBJr fGPlVUpgrade naar KadastraleKaart Pro
Bekijk op Street View
Download DWG/DXF/Excel
Fbv z2AJsncVd4T Upgrade naar KadastraleKaart Pro
RNDk9 OGmGanDTzBDkih0Upgrade naar KadastraleKaart Pro
euPocXl SJ Upgrade naar KadastraleKaart Pro
NUfBzu 7aYzO7Upgrade naar KadastraleKaart Pro
W rz0h7 3EcTeheZfazC3RUpgrade naar KadastraleKaart Pro
uL4HdUrrSuloUpgrade naar KadastraleKaart Pro
Egn xewCEVtPx9gUpgrade naar KadastraleKaart Pro
qrkRbNgD AlNuUpgrade naar KadastraleKaart Pro
j1f4vN6ub0Br6eTfTUpgrade naar KadastraleKaart Pro
k8nNP2fLxaA Upgrade naar KadastraleKaart Pro
14/09/2006

Percelen
Gebruik de zoekbalk of klik op een perceel om informatie over het perceel te bekijken.