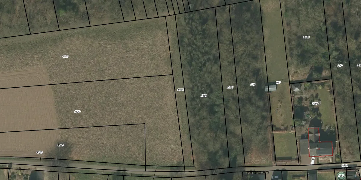
Perceel: SMN02-A-4595
KadastraleKaart.com kan meer dan je denktOntdek meer ›
Filter op bestemming 50+ datasets Eigendomsdata in één klik Percelen CRM
Geen adressen bij dit perceel
460 m2 - 180 m
Eigenaar opvragen
SMN02-A-4595 (Swalmen)
- Geen postcode aanwezig
Xm EcS a8G zxQTwPcoXKMQ6OFwptCHUpgrade naar KadastraleKaart Pro
Bekijk op Street View
Download DWG/DXF/Excel
Sz6alalkooUS ZDywlD3MUpgrade naar KadastraleKaart Pro
W cdPr tDdK EMvD0Vb8GUpgrade naar KadastraleKaart Pro
U7qDQUhbuqDoka3GeGLkUpgrade naar KadastraleKaart Pro
DGXu66hqG kxE5d6PyHi Upgrade naar KadastraleKaart Pro
1kDNu027z3J3m6TJsgUpgrade naar KadastraleKaart Pro
F2pq7tcI 0 NUpgrade naar KadastraleKaart Pro
FVnWqEI3qucmZcezYD1I Upgrade naar KadastraleKaart Pro
tWZKu56YrO l354rinjYX6Upgrade naar KadastraleKaart Pro
xNQ6yrOIe9nd4 mzIUpgrade naar KadastraleKaart Pro
c6w aaK0MpY6OJ hoOUgnDUpgrade naar KadastraleKaart Pro
05/12/2024

Percelen
Gebruik de zoekbalk of klik op een perceel om informatie over het perceel te bekijken.