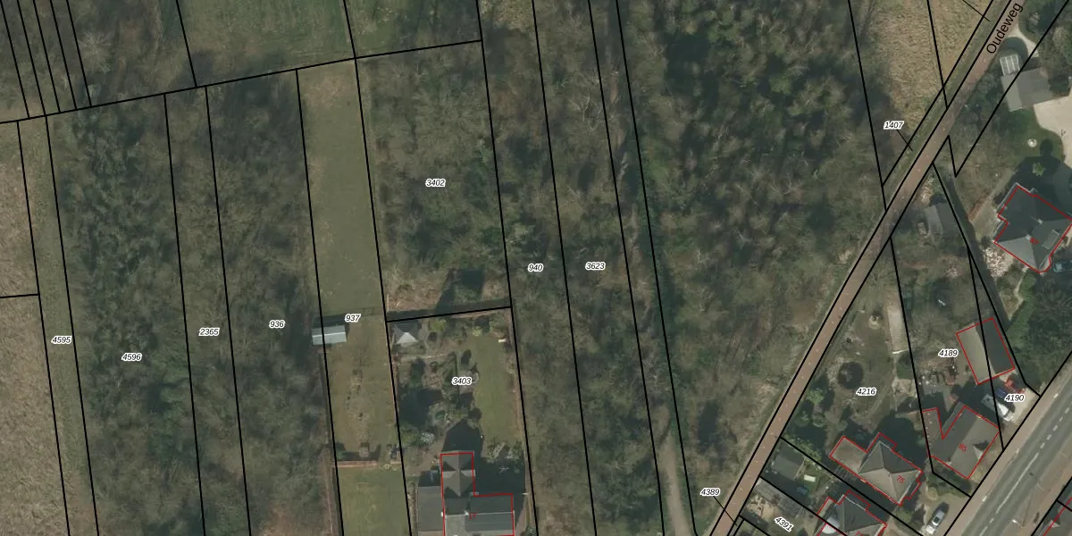
Perceel: SMN02-A-940
Geen adressen bij dit perceel
1.480 m2 - 280 m
Eigenaar opvragen
SMN02-A-940 (Swalmen)
- Geen postcode aanwezig
o bIWaRfm1C a9c x9vxYTUpgrade naar KadastraleKaart Pro
Bekijk op Street View
Download DWG/DXF/Excel
qFvLYcq5MM5q jjXCPuEugBUpgrade naar KadastraleKaart Pro
sK5E M qWNvwP Upgrade naar KadastraleKaart Pro
Y52 zVrlyMPFuEDcDeG1SUpgrade naar KadastraleKaart Pro
vnsvVSM UtWGEqVUpgrade naar KadastraleKaart Pro
H nSr9vb S 6M3Upgrade naar KadastraleKaart Pro
QBVQcXK aK349CLxZ9Upgrade naar KadastraleKaart Pro
1TfhXEW6qPRo1 qfUpgrade naar KadastraleKaart Pro
GPBRwCHBk17oOUpgrade naar KadastraleKaart Pro
E Er yfwzPCk7 J9YYl BUpgrade naar KadastraleKaart Pro
r wBobFmhxcezSUpgrade naar KadastraleKaart Pro
19/06/2008

Percelen
Gebruik de zoekbalk of klik op een perceel om informatie over het perceel te bekijken.