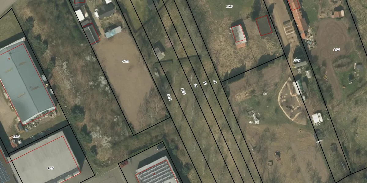
Perceel: SMN02-B-2473
1.620 m2 - 359 m
Eigenaar opvragen
SMN02-B-2473 (Swalmen)
- 6071 PR
1qfnRtTPlXFvgrp8OyXUQ93BpjKUpgrade naar KadastraleKaart Pro
Bekijk op Street View
Download DWG/DXF/Excel
WbU4rj4 fD5Upgrade naar KadastraleKaart Pro
ykF3PDJmlNC EIIIfUpgrade naar KadastraleKaart Pro
NDN4nS5UcjHQ6vVH TUpgrade naar KadastraleKaart Pro
ou5vK5RkxO GBBFINvUpgrade naar KadastraleKaart Pro
hROpy7KVN5R Upgrade naar KadastraleKaart Pro
7HNo4lkhUpgrade naar KadastraleKaart Pro
Z8BbuU1tlBvNHDzUpgrade naar KadastraleKaart Pro
1d Q4CgNDM1tlYVUpgrade naar KadastraleKaart Pro
nUmKj33 HbQIUpgrade naar KadastraleKaart Pro
9D wKVIQ9d1cS H7Upgrade naar KadastraleKaart Pro
28/05/2010

Percelen
Gebruik de zoekbalk of klik op een perceel om informatie over het perceel te bekijken.