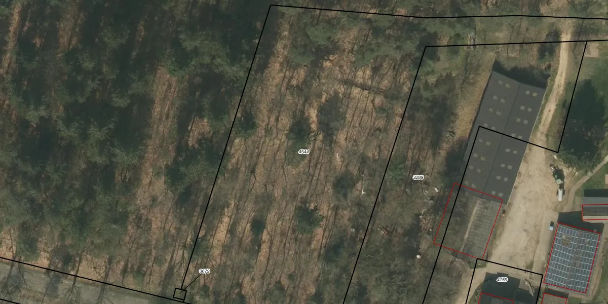
Perceel: SMN02-B-4544
KadastraleKaart.com kan meer dan je denktOntdek meer ›
Filter op bestemming 50+ datasets Eigendomsdata in één klik Percelen CRM
Geen adressen bij dit perceel
6.615 m2 - 594 m
Eigenaar opvragen
SMN02-B-4544 (Swalmen)
- Geen postcode aanwezig
yyZcOVpf7fOStQhlKjM Rm8Kko5TLUpgrade naar KadastraleKaart Pro
Bekijk op Street View
Download DWG/DXF/Excel
NdkqYb7NYQe1YqKA9CtoUpgrade naar KadastraleKaart Pro
pu0lzi7q 9Kd 7IHlMpqUpgrade naar KadastraleKaart Pro
NTn8pW4HfoXUpgrade naar KadastraleKaart Pro
8jVZIymzsYCv4Upgrade naar KadastraleKaart Pro
FBahBk8Upgrade naar KadastraleKaart Pro
SHaKas iCxrrxZm 4Upgrade naar KadastraleKaart Pro
MNf8 Z q2vOrarvYYoUpgrade naar KadastraleKaart Pro
J tK6SI99 guwG Tq2dNsUpgrade naar KadastraleKaart Pro
XEDNct gJLdy9hSWntVTIWQUpgrade naar KadastraleKaart Pro
0 C7 46qZzbqCOUiYluUpgrade naar KadastraleKaart Pro
12/10/2009

Percelen
Gebruik de zoekbalk of klik op een perceel om informatie over het perceel te bekijken.