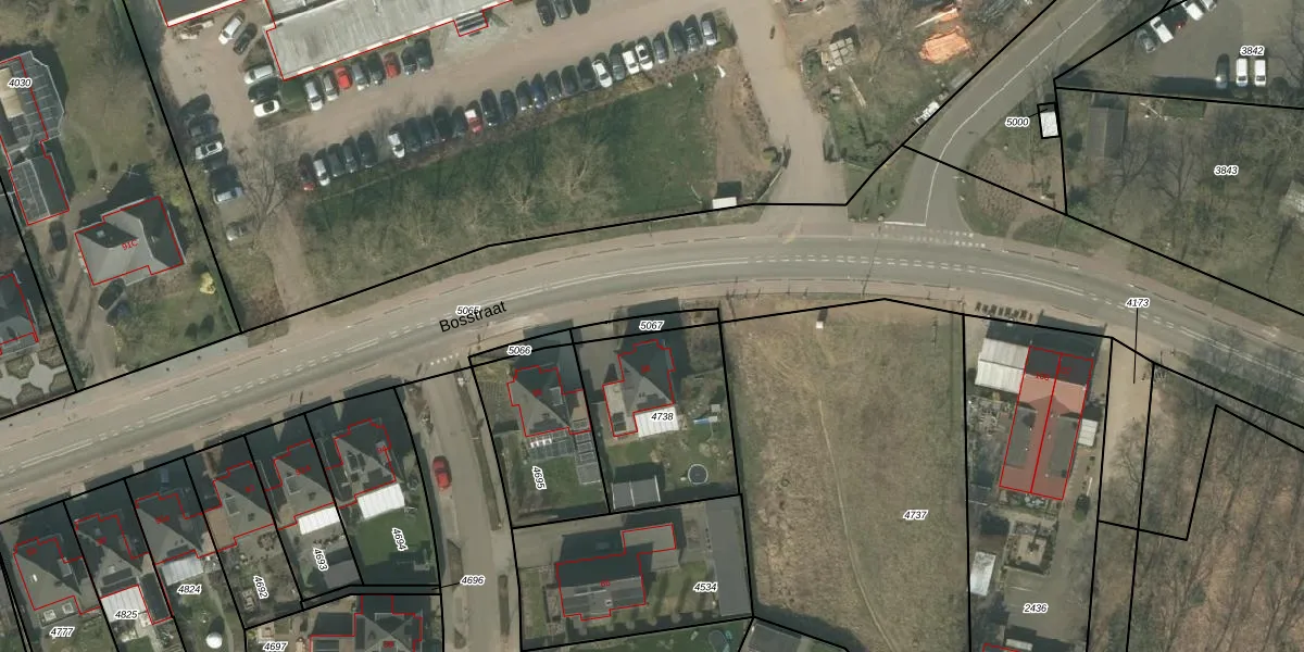
Perceel: SMN02-B-5067
KadastraleKaart.com kan meer dan je denktOntdek meer ›
Filter op bestemming 50+ datasets Eigendomsdata in één klik Percelen CRM
Geen adressen bij dit perceel
57 m2 - 50 m
Eigenaar opvragen
SMN02-B-5067 (Swalmen)
- Geen postcode aanwezig
VAmJ6HLawh22z62 FuimLFXHk0Upgrade naar KadastraleKaart Pro
Bekijk op Street View
Download DWG/DXF/Excel
6KvwT5j4Glgo0TjsCMhDEUpgrade naar KadastraleKaart Pro
hAPp no K yykwS8aIgFxUpgrade naar KadastraleKaart Pro
8n35k8nyhUpgrade naar KadastraleKaart Pro
67uAF W639 eM9 uHBUpgrade naar KadastraleKaart Pro
DCh M7MlgeSrUpgrade naar KadastraleKaart Pro
1mvZXvsTGVMM PJbBxCMQLpUpgrade naar KadastraleKaart Pro
U 4U9s1 4Ht DmlR2bhUpgrade naar KadastraleKaart Pro
WlY0otJ mSqTMWQ Upgrade naar KadastraleKaart Pro
KK3HRAmeTxQ2GUpgrade naar KadastraleKaart Pro
sg7eLC3 R OXnUpgrade naar KadastraleKaart Pro
02/08/2024

Percelen
Gebruik de zoekbalk of klik op een perceel om informatie over het perceel te bekijken.