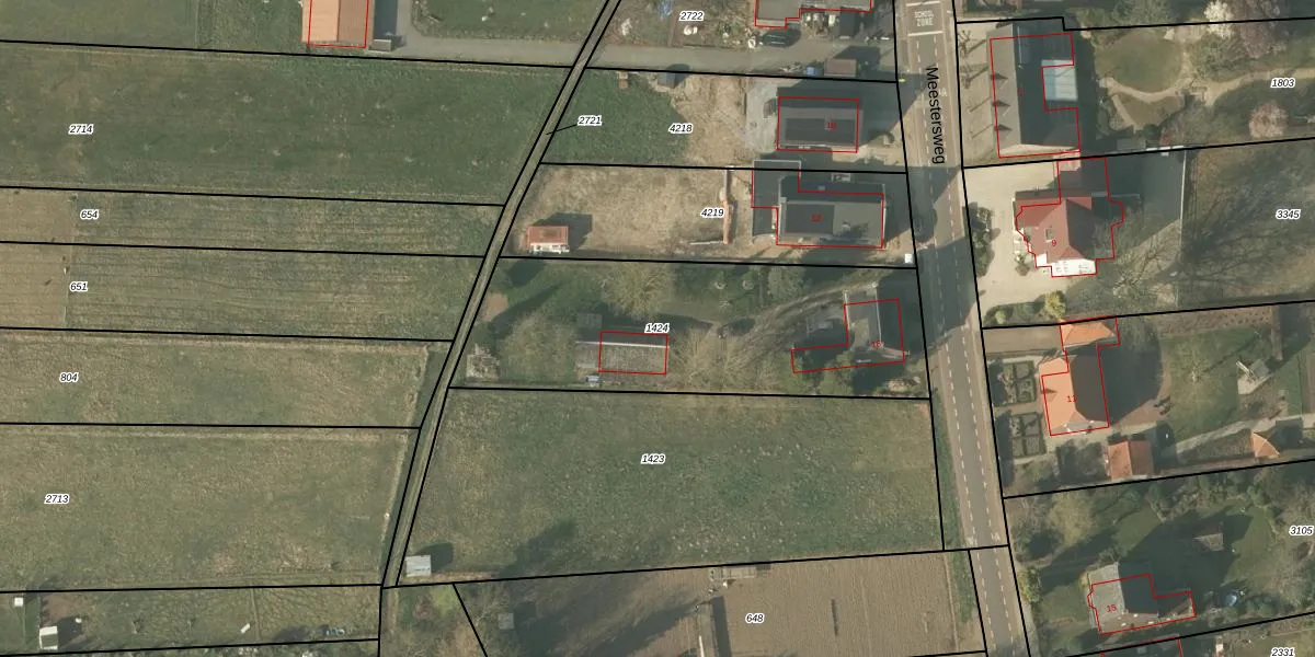
Perceel: SMN02-C-1424
1.350 m2 - 178 m
Eigenaar opvragen
SMN02-C-1424 (Swalmen)
- 6071 BN
710fpyxMu4AV8Jx 9iYexuxIUpgrade naar KadastraleKaart Pro
Bekijk op Street View
Download DWG/DXF/Excel
aIH UId hv oUmClVdUpgrade naar KadastraleKaart Pro
N DpUD eUpgrade naar KadastraleKaart Pro
HyDmjvebqU0G rUpgrade naar KadastraleKaart Pro
phFwdKvN4 x2l 3yGL8Upgrade naar KadastraleKaart Pro
oTST8n537Pqc YdZ60BIUpgrade naar KadastraleKaart Pro
8ciTj2V5UbsnOq Bvx5oUpgrade naar KadastraleKaart Pro
1I3trnpnUpgrade naar KadastraleKaart Pro
n5dIst4qs5yBENrUpgrade naar KadastraleKaart Pro
XFPQUr2HGJUpgrade naar KadastraleKaart Pro
Knb8vtuRWQ16D2lkjhf7Upgrade naar KadastraleKaart Pro
07/09/2006

Percelen
Gebruik de zoekbalk of klik op een perceel om informatie over het perceel te bekijken.