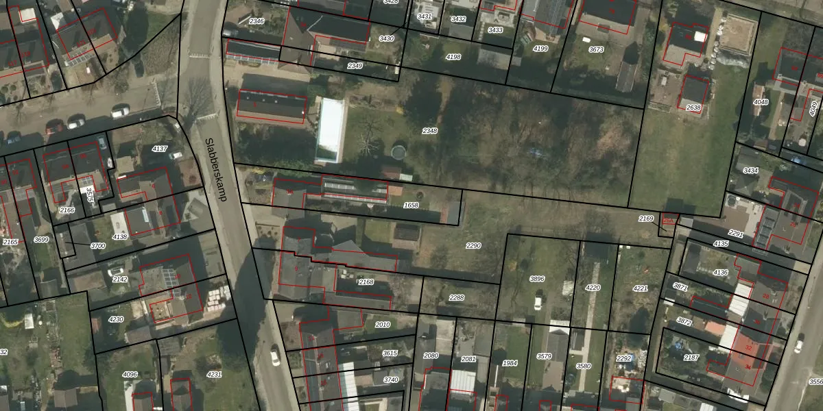
Perceel: SMN02-C-1658
500 m2 - 128 m
Eigenaar opvragen
SMN02-C-1658 (Swalmen)
- 6071 HH
wNVkw YFd 74b c6kwM6Aq3mUpgrade naar KadastraleKaart Pro
Bekijk op Street View
Download DWG/DXF/Excel
Pj22PLD3ENkGaLcx 2fuUpgrade naar KadastraleKaart Pro
u8VYHFByZBfUecWBaZDiQUpgrade naar KadastraleKaart Pro
Gpme 5WKUpgrade naar KadastraleKaart Pro
eB 7CH40CncU0zfI aUpgrade naar KadastraleKaart Pro
KF pcckBXgSJD eeUpgrade naar KadastraleKaart Pro
pqd1cdzR9D60rUl 366zxUpgrade naar KadastraleKaart Pro
ogRqjg r9awmLIvtKZFUpgrade naar KadastraleKaart Pro
qS9irI 3OB5okkkfz656dUpgrade naar KadastraleKaart Pro
gPoL311a8Upgrade naar KadastraleKaart Pro
rT jX2w ljX5bNBhUpgrade naar KadastraleKaart Pro
04/09/2006

Percelen
Gebruik de zoekbalk of klik op een perceel om informatie over het perceel te bekijken.