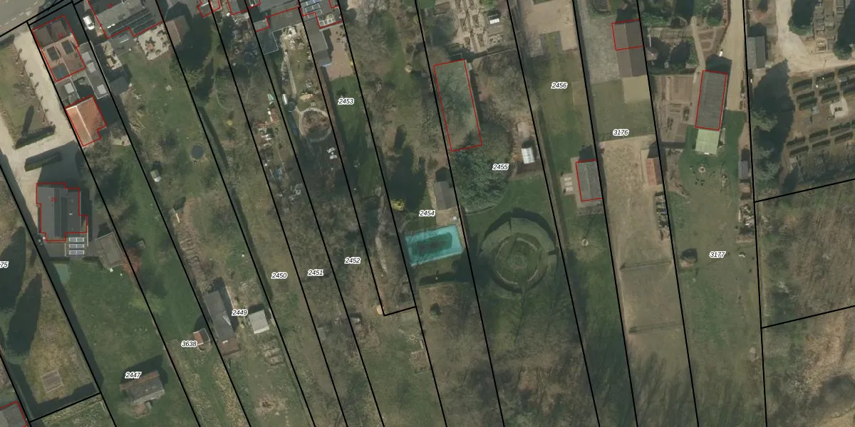
Perceel: SMN02-C-2454
2.565 m2 - 369 m
Eigenaar opvragen
SMN02-C-2454 (Swalmen)
- 6071 XW
ZJ5 vuM4Uf SEPnBUo2f4GUpgrade naar KadastraleKaart Pro
Bekijk op Street View
Download DWG/DXF/Excel
dgJsEJ ehTUpgrade naar KadastraleKaart Pro
zT8Gp5lmpISUpgrade naar KadastraleKaart Pro
Idld76TC5OUpgrade naar KadastraleKaart Pro
cjJZ 5Xh5ZwBgK9gdYUpgrade naar KadastraleKaart Pro
NjcufLHb9 DytOWqAOTiVUUpgrade naar KadastraleKaart Pro
FkzQqRStZqoOSJyjk7ELOUpgrade naar KadastraleKaart Pro
UEycfoBaUkUpgrade naar KadastraleKaart Pro
Zms9 zTOKGSrtAyUpgrade naar KadastraleKaart Pro
KDL3JQYDSTAS9UKEjrr9n80Upgrade naar KadastraleKaart Pro
s xigCvMilPodKUu9Upgrade naar KadastraleKaart Pro
22/02/2024

Percelen
Gebruik de zoekbalk of klik op een perceel om informatie over het perceel te bekijken.