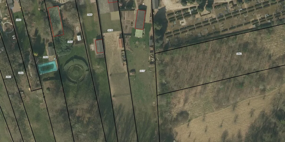
Perceel: SMN02-C-3177
KadastraleKaart.com kan meer dan je denktOntdek meer ›
Filter op bestemming 50+ datasets Eigendomsdata in één klik Percelen CRM
5.135 m2 - 552 m
Eigenaar opvragen
SMN02-C-3177 (Swalmen)
- 6071 XW
1jOToY3 5 ZmKIrmH k HUpgrade naar KadastraleKaart Pro
Verkoopprijs opvragen
Bekijk op Street View
Download DWG/DXF/Excel
hk3SzcGR BTyhnu Fp 4DSEUpgrade naar KadastraleKaart Pro
ve6A70P JwoGlUpgrade naar KadastraleKaart Pro
Mlx19FUs0 0Upgrade naar KadastraleKaart Pro
uLUzbf RvdUpgrade naar KadastraleKaart Pro
6NGGXuouvK j3Upgrade naar KadastraleKaart Pro
MCB7rBuaZtTVhnUpgrade naar KadastraleKaart Pro
0zCu8gVQVqOMDdFXm WUpgrade naar KadastraleKaart Pro
4HYLg2tgxk1hJ1oKY5pEHPWUpgrade naar KadastraleKaart Pro
vwkMzaDLmlbUfoZuNnUZUpgrade naar KadastraleKaart Pro
61RoNT0Cw LUpgrade naar KadastraleKaart Pro
01/09/2006

Percelen
Gebruik de zoekbalk of klik op een perceel om informatie over het perceel te bekijken.