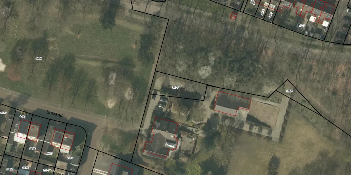
Perceel: SMN02-C-3979
KadastraleKaart.com kan meer dan je denktOntdek meer ›
Filter op bestemming 50+ datasets Eigendomsdata in één klik Percelen CRM
Geen adressen bij dit perceel
355 m2 - 98 m
Eigenaar opvragen
SMN02-C-3979 (Swalmen)
- Geen postcode aanwezig
SNJD5u9aHa1IMBwFM98C1p 2V0lyU2QUpgrade naar KadastraleKaart Pro
Bekijk op Street View
Download DWG/DXF/Excel
G4PmZ5c80NBAUpgrade naar KadastraleKaart Pro
nJ8y6MR gUpgrade naar KadastraleKaart Pro
s 2ijoJ324jUpgrade naar KadastraleKaart Pro
ZD WvBaD1bwi53Upgrade naar KadastraleKaart Pro
ZchEN ns7YK0If JzJcAqUpgrade naar KadastraleKaart Pro
sBXkCvZcBPUlVXmUpgrade naar KadastraleKaart Pro
c6v8ei 3dTlUpgrade naar KadastraleKaart Pro
o0DnUhDEMnSUpgrade naar KadastraleKaart Pro
x2p7ZPgoGfCFpZCU2qUpgrade naar KadastraleKaart Pro
T1oQ4 vXd1T EwqZGwFwpqUpgrade naar KadastraleKaart Pro
13/05/2009

Percelen
Gebruik de zoekbalk of klik op een perceel om informatie over het perceel te bekijken.