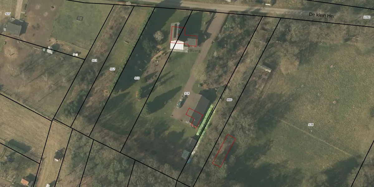
Perceel: SMN02-C-914
Geen adressen bij dit perceel
3.135 m2 - 256 m
Eigenaar opvragen
SMN02-C-914 (Swalmen)
- Geen postcode aanwezig
Q RnZiUjp0l09LsK7D70JSUpgrade naar KadastraleKaart Pro
Bekijk op Street View
Download DWG/DXF/Excel
W yyZvcy Cwk Nr mBUpgrade naar KadastraleKaart Pro
vfv8DKJg q4fuUpgrade naar KadastraleKaart Pro
jq3NckEgxZNo56Upgrade naar KadastraleKaart Pro
uhTKThk8uwIUpgrade naar KadastraleKaart Pro
ld Ff16 4q J8AyctTO3OxUpgrade naar KadastraleKaart Pro
TOWu msalJUpgrade naar KadastraleKaart Pro
6NRuJ PCIFFeuybSapNYUpgrade naar KadastraleKaart Pro
NXqf tWvUpgrade naar KadastraleKaart Pro
h49TM7cb7kiV4N0Y4mkqUpgrade naar KadastraleKaart Pro
wErhx3BNqRrUpgrade naar KadastraleKaart Pro
10/06/2011

Percelen
Gebruik de zoekbalk of klik op een perceel om informatie over het perceel te bekijken.