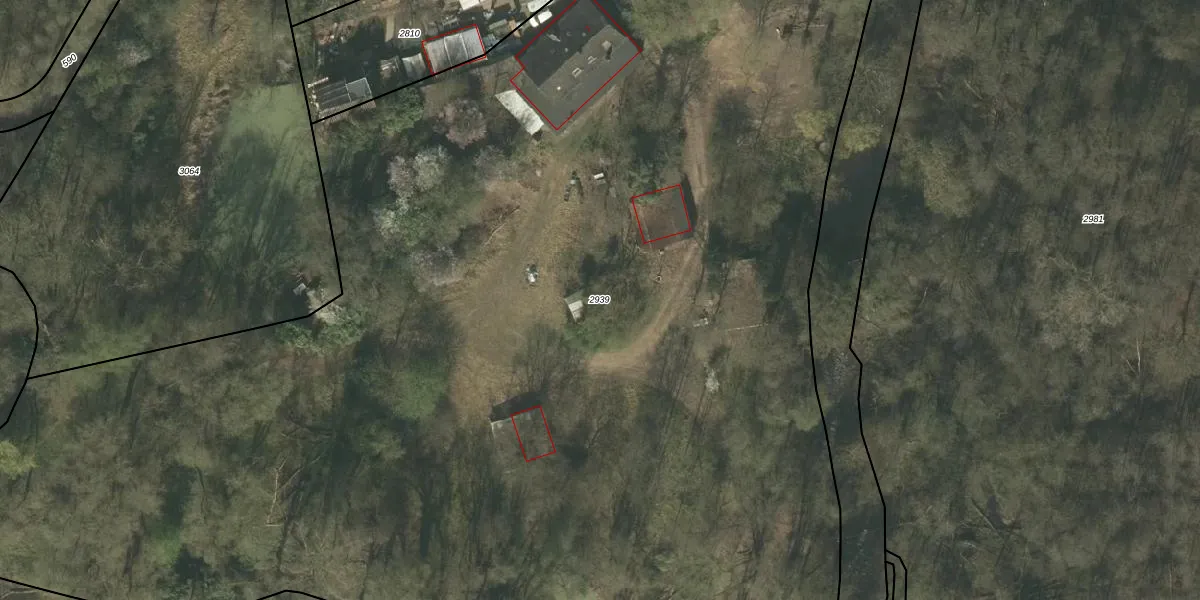
Perceel: SMN02-E-2939
15.290 m2 - 627 m
Eigenaar opvragen
SMN02-E-2939 (Swalmen)
- 6071 JV
oMh0 G JR6cLVU qpnTZ 9Pg3 KUpgrade naar KadastraleKaart Pro
Bekijk op Street View
Download DWG/DXF/Excel
pwSJUs UX3shXbvXrHLGXrqUpgrade naar KadastraleKaart Pro
cuYdZIMYxUqee7Tc6ZUpgrade naar KadastraleKaart Pro
cVZRbGurvYv2XkW 4Upgrade naar KadastraleKaart Pro
Evl QAtSz4SEMwUpgrade naar KadastraleKaart Pro
QnkVaz3U1g9uk gxlUpgrade naar KadastraleKaart Pro
CPV6QDW0K1x5Ewqb8hg1AUpgrade naar KadastraleKaart Pro
NP3VhJQ Upgrade naar KadastraleKaart Pro
HTXOP0krwpqlUbZUpgrade naar KadastraleKaart Pro
tPNrldaMaAVLUpgrade naar KadastraleKaart Pro
2v KCwFHBUpgrade naar KadastraleKaart Pro
20/09/2006

Percelen
Gebruik de zoekbalk of klik op een perceel om informatie over het perceel te bekijken.