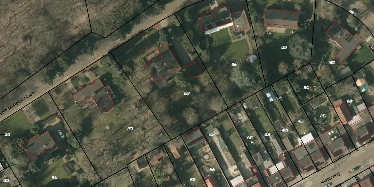
Perceel: SMN02-H-156
2.162 m2 - 190 m
Eigenaar opvragen
SMN02-H-156 (Swalmen)
- 6071 BL
lky3YbRtxWtGRMdDmsz6dE4MzyUpgrade naar KadastraleKaart Pro
Verkoopprijs opvragen
Bekijk op Street View
Download DWG/DXF/Excel
VpfHAT 2Upgrade naar KadastraleKaart Pro
8IwGrvKLwTF SjfIXUpgrade naar KadastraleKaart Pro
755okHK6hUpgrade naar KadastraleKaart Pro
s63euNEBTE8OjUpgrade naar KadastraleKaart Pro
jXW S1viU9pue1bLpcrwBUpgrade naar KadastraleKaart Pro
a7m Yt9V r8XunD Upgrade naar KadastraleKaart Pro
qCMKGIwy7Nz5uvBEpUpgrade naar KadastraleKaart Pro
h opv HhGFtpTMWkB2WVDaHUpgrade naar KadastraleKaart Pro
2G787 gQkMkg7VfZabOcdeUpgrade naar KadastraleKaart Pro
jUDBIDex39GUyI6KJzFzBqUpgrade naar KadastraleKaart Pro
31/03/2010

Percelen
Gebruik de zoekbalk of klik op een perceel om informatie over het perceel te bekijken.