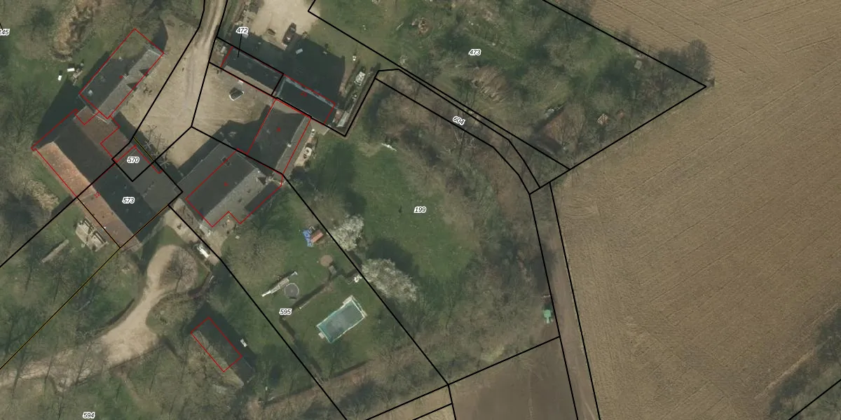
Perceel: SMN02-I-199
3.088 m2 - 267 m
Eigenaar opvragen
SMN02-I-199 (Swalmen)
- 6071 PL
rb4VZW5 iKoMKW9K i1mXUpgrade naar KadastraleKaart Pro
Bekijk op Street View
Download DWG/DXF/Excel
5Pjz3 uE 19WotS5c3 t CUpgrade naar KadastraleKaart Pro
IX8 8xmkTI6Upgrade naar KadastraleKaart Pro
5HXKJb3 SqHw4qDdfiVQhHUpgrade naar KadastraleKaart Pro
PTcO jFELhnkPVBMbndjUpgrade naar KadastraleKaart Pro
ES89uIqUz0BfxkUpgrade naar KadastraleKaart Pro
mK9wZFxjYdnGdPUpgrade naar KadastraleKaart Pro
QrwnP0vHYsPCdKEvc6gByUpgrade naar KadastraleKaart Pro
67lUFcV39shFr Y2pkS9qBOUpgrade naar KadastraleKaart Pro
IKYBZH1IlgVivUpgrade naar KadastraleKaart Pro
0rOv0XUlS Aatf9Upgrade naar KadastraleKaart Pro
03/12/2024

Percelen
Gebruik de zoekbalk of klik op een perceel om informatie over het perceel te bekijken.