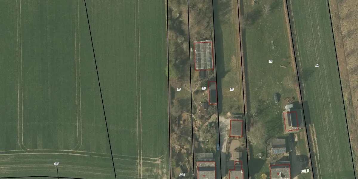
Perceel: SMN02-K-25
Geen adressen bij dit perceel
1.401 m2 - 252 m
Eigenaar opvragen
SMN02-K-25 (Swalmen)
- Geen postcode aanwezig
2kNCdDEtQtA NqkutTE0eca2SCiUpgrade naar KadastraleKaart Pro
Bekijk op Street View
Download DWG/DXF/Excel
Vh3MqAI0Zer u17ano N4FjUpgrade naar KadastraleKaart Pro
iHHqZRYEUpgrade naar KadastraleKaart Pro
wf4sNZpe HiqD5KSmUpgrade naar KadastraleKaart Pro
8iWp7xlp4bjlUpgrade naar KadastraleKaart Pro
cSb sGbT42iUpgrade naar KadastraleKaart Pro
AhOxEdQhoCF9Upgrade naar KadastraleKaart Pro
SJAv9WeUrXwu Y6qamO2Upgrade naar KadastraleKaart Pro
TUgwZ6qi5v1PY 6A9gv1brOUpgrade naar KadastraleKaart Pro
fTzemwJ2knSkUNnUpgrade naar KadastraleKaart Pro
6alZ ZNVrLvoHrA71 VI8h Upgrade naar KadastraleKaart Pro
22/02/2012

Percelen
Gebruik de zoekbalk of klik op een perceel om informatie over het perceel te bekijken.