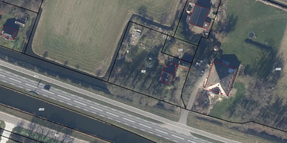
Perceel: SMR01-O-745
2.000 m2 - 201 m
Eigenaar opvragen
SMR01-O-745 (Schermer)
- 1841 GA
qTsL vIEVTr3LAssZ1uYd FxYb4Upgrade naar KadastraleKaart Pro
Verkoopprijs opvragen
Bekijk op Street View
Download DWG/DXF/Excel
Rliaoowoqv0By2BFjBnuyLUpgrade naar KadastraleKaart Pro
OVWKF LmIJCEJqnoUpgrade naar KadastraleKaart Pro
D2moLawQUpgrade naar KadastraleKaart Pro
HKvze96wO8Xtc4Upgrade naar KadastraleKaart Pro
MLLWTv30DryCUpgrade naar KadastraleKaart Pro
teUpG8o Yl Upgrade naar KadastraleKaart Pro
kDhe azlEsr8Upgrade naar KadastraleKaart Pro
9azvMeGfST 4vrTjVh Upgrade naar KadastraleKaart Pro
6c jX t6TsxpoL2H jegygUpgrade naar KadastraleKaart Pro
hzP7r2KuQ EwUpgrade naar KadastraleKaart Pro
02/05/2007

Percelen
Gebruik de zoekbalk of klik op een perceel om informatie over het perceel te bekijken.