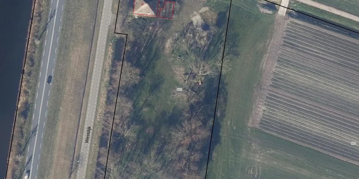
Perceel: SMR01-X-692
8.050 m2 - 417 m
Eigenaar opvragen
SMR01-X-692 (Schermer)
- 1847 LH
vvNrmsmH tI9H3YK8H3 Y PUpgrade naar KadastraleKaart Pro
Verkoopprijs opvragen
Bekijk op Street View
Download DWG/DXF/Excel
LnY5NkKE9nTT1KiWt6VriFcUpgrade naar KadastraleKaart Pro
JxX09g1C3KHM2hUpgrade naar KadastraleKaart Pro
4YFkKChetnNcUpgrade naar KadastraleKaart Pro
SG MP37b8nkJTvrmUpgrade naar KadastraleKaart Pro
Smr9LPJ0tA8 WMUpgrade naar KadastraleKaart Pro
U2mJNGS2YaUpgrade naar KadastraleKaart Pro
YWrNxG ldnCqMzUpgrade naar KadastraleKaart Pro
2M66w8R Upgrade naar KadastraleKaart Pro
Msu GNU f NMUpgrade naar KadastraleKaart Pro
AV8N5 AbDzi50uY6QKLRMUpgrade naar KadastraleKaart Pro
14/07/2009

Percelen
Gebruik de zoekbalk of klik op een perceel om informatie over het perceel te bekijken.