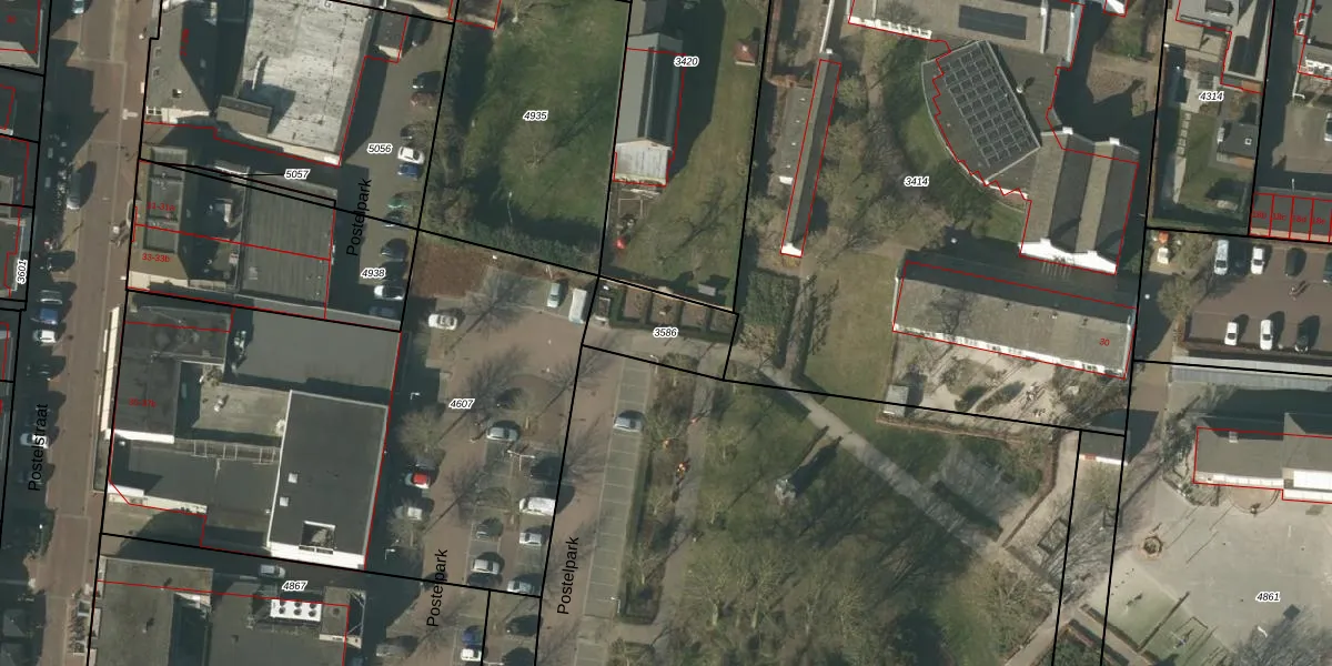
Perceel: SMR02-B-3586
KadastraleKaart.com kan meer dan je denktOntdek meer ›
Filter op bestemming 50+ datasets Eigendomsdata in één klik Percelen CRM
Geen adressen bij dit perceel
225 m2 - 64 m
Eigenaar opvragen
SMR02-B-3586 (Someren)
- Geen postcode aanwezig
CGnMwvZ HMFYbInZ3wa nqvIUpgrade naar KadastraleKaart Pro
Bekijk op Street View
Download DWG/DXF/Excel
Yucrjo1UR9vlUp1htEWyPZqUpgrade naar KadastraleKaart Pro
1t1Pf4JIAH Upgrade naar KadastraleKaart Pro
M0pjyPhG JsY2t1s kBPkbeUpgrade naar KadastraleKaart Pro
RGiCn6HxxUpgrade naar KadastraleKaart Pro
97 x6lRSCdE waMUpgrade naar KadastraleKaart Pro
B KPr85MgCUpgrade naar KadastraleKaart Pro
IUqGbw5ucOr0Upgrade naar KadastraleKaart Pro
Jptwi plKQlUpgrade naar KadastraleKaart Pro
6bh8 yO yqvIwzbZ2xqUpgrade naar KadastraleKaart Pro
ViWsCTQnRKP09Fvpyct9Upgrade naar KadastraleKaart Pro
24/07/2012

Percelen
Gebruik de zoekbalk of klik op een perceel om informatie over het perceel te bekijken.