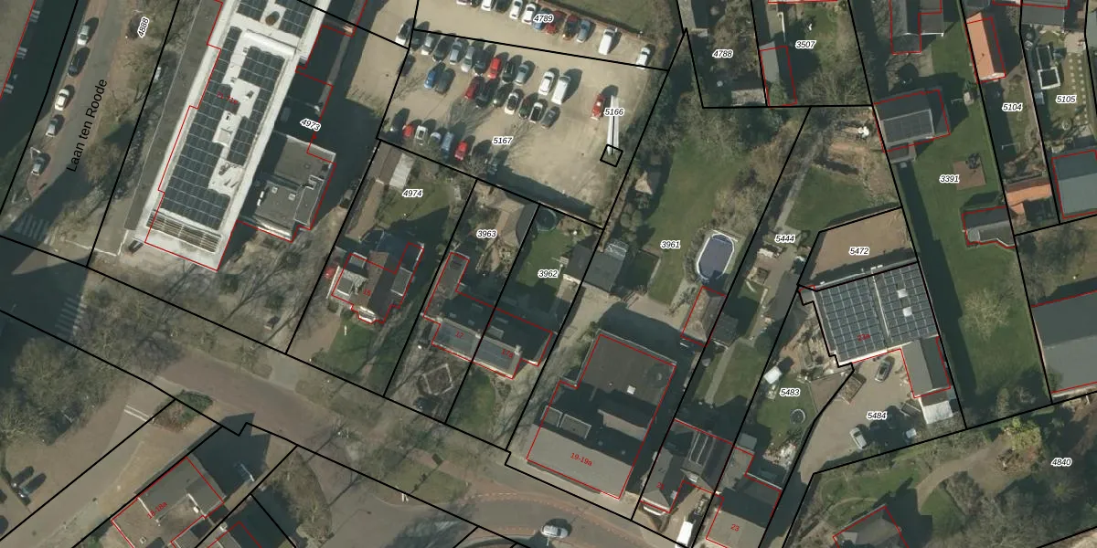
Perceel: SMR02-B-3962
KadastraleKaart.com kan meer dan je denktOntdek meer ›
Filter op bestemming 50+ datasets Eigendomsdata in één klik Percelen CRM
547 m2 - 112 m
Eigenaar opvragen
SMR02-B-3962 (Someren)
- 5711 GT
deZch8ROmDRsRKJ4Upgrade naar KadastraleKaart Pro
Verkoopprijs opvragen
Bekijk op Street View
Download DWG/DXF/Excel
FI 0 yU1bYB0Upgrade naar KadastraleKaart Pro
iHzL8WduGA pG7Upgrade naar KadastraleKaart Pro
QSgCWc2BK Vw8s24LVPlhVUpgrade naar KadastraleKaart Pro
OC H5 81Q AITVLYJ6GjUpgrade naar KadastraleKaart Pro
WGSv r45csvUpgrade naar KadastraleKaart Pro
zlSDMz1jQ23Upgrade naar KadastraleKaart Pro
tX2HGVdMN Upgrade naar KadastraleKaart Pro
s27Q br duskUpgrade naar KadastraleKaart Pro
ZmFv8lwajHJ lCovmUpgrade naar KadastraleKaart Pro
FFx8FhpbNS 9uCiKsPn 9Upgrade naar KadastraleKaart Pro
20/01/2010

Percelen
Gebruik de zoekbalk of klik op een perceel om informatie over het perceel te bekijken.