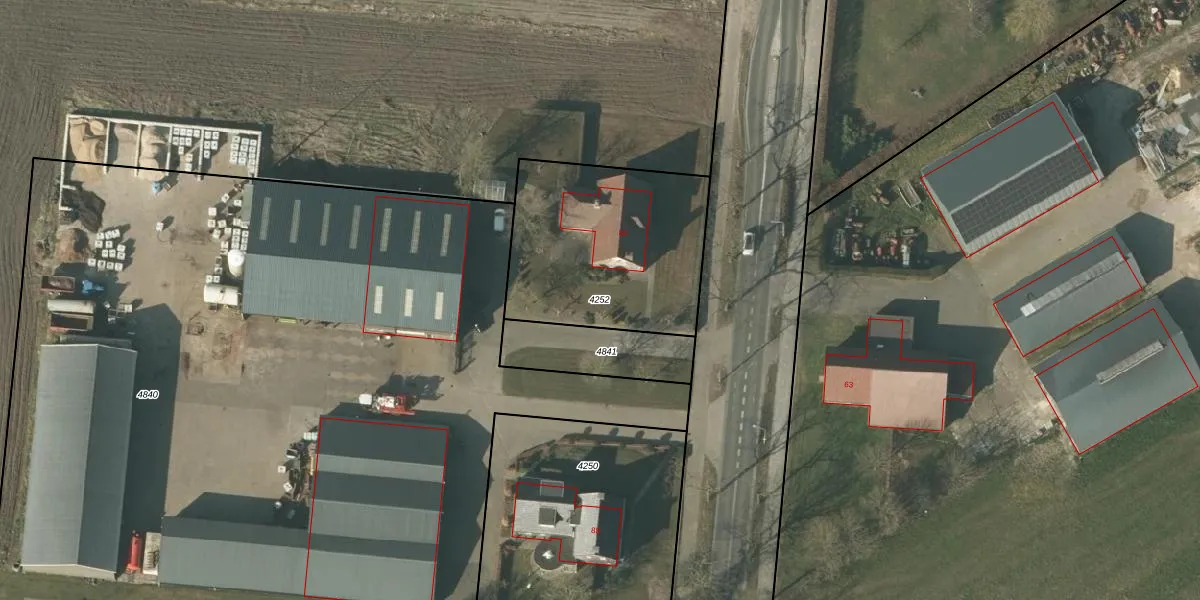
Perceel: SMR02-G-4252
KadastraleKaart.com kan meer dan je denktOntdek meer ›
Filter op bestemming 50+ datasets Eigendomsdata in één klik Percelen CRM
860 m2 - 118 m
Eigenaar opvragen
SMR02-G-4252 (Someren)
- 5712 EW
1UV2gjK58V5bfQ1T9Eo9Tf3Upgrade naar KadastraleKaart Pro
Bekijk op Street View
Download DWG/DXF/Excel
V17FBDfIUpgrade naar KadastraleKaart Pro
0xEHLHqh8ylSAivX7psAddTUpgrade naar KadastraleKaart Pro
Z9Yw J N C Upgrade naar KadastraleKaart Pro
iopcoUizaDkCBMUpgrade naar KadastraleKaart Pro
nWF0hiaR8Upgrade naar KadastraleKaart Pro
cUaTonHvUpgrade naar KadastraleKaart Pro
fVQ4byA zHUpgrade naar KadastraleKaart Pro
9eEylicm cUpgrade naar KadastraleKaart Pro
IXPJLV8kUpgrade naar KadastraleKaart Pro
Y5Yt3TP4Upgrade naar KadastraleKaart Pro
17/06/2003

Percelen
Gebruik de zoekbalk of klik op een perceel om informatie over het perceel te bekijken.