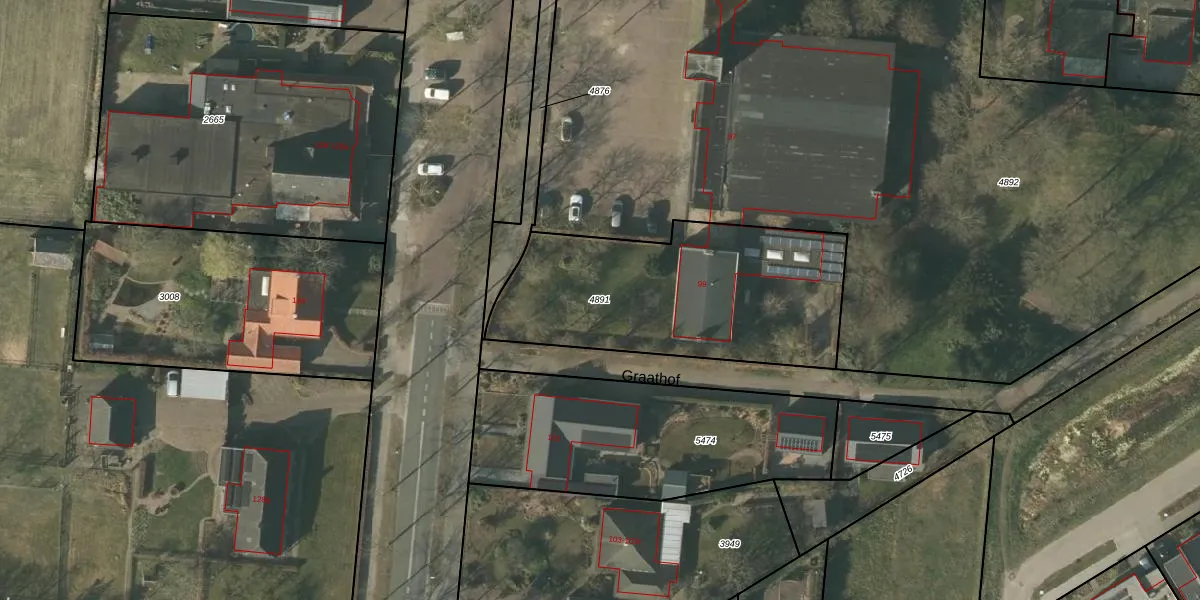
Perceel: SMR02-G-4891
KadastraleKaart.com kan meer dan je denktOntdek meer ›
Filter op bestemming 50+ datasets Eigendomsdata in één klik Percelen CRM
1.150 m2 - 158 m
Eigenaar opvragen
SMR02-G-4891 (Someren)
- 5712 ET
Wf80mL9i KQCo5lfu2 TwUpgrade naar KadastraleKaart Pro
Verkoopprijs opvragen
Bekijk op Street View
Download DWG/DXF/Excel
knvw0A 8McUpgrade naar KadastraleKaart Pro
6 KO W7yDtUpgrade naar KadastraleKaart Pro
1MHkgZOVvKU x3NUpgrade naar KadastraleKaart Pro
zEPb79WJIi72Upgrade naar KadastraleKaart Pro
xOfKY66hrj7aothH U9LUpgrade naar KadastraleKaart Pro
9FjW iNN3Upgrade naar KadastraleKaart Pro
QyseXeuA r0fOu zrg9Upgrade naar KadastraleKaart Pro
OxLjDVHcUpgrade naar KadastraleKaart Pro
mTS oRHr0dPMINvUpgrade naar KadastraleKaart Pro
4S9xOzTCfBcgrm1K nUpgrade naar KadastraleKaart Pro
13/12/2007

Percelen
Gebruik de zoekbalk of klik op een perceel om informatie over het perceel te bekijken.