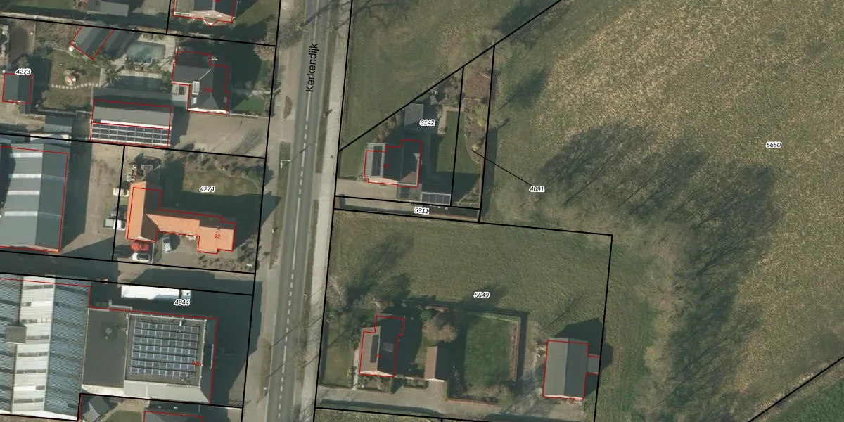
Perceel
Oppervlakte
109 m²
Aantal adressen
Geen adressen
Aanduiding
SMR02-G-5311 - Someren
Verkocht in
Onbekend
Eigendom
Eigenaar
Eigenaar opvragen
Type eigenaar
cP REBUf74v5YnHGqQNUpgrade naar KadastraleKaart Pro
Appartementsrechten
Identificatie
roBu2P r91dsZvWQajK3T1Upgrade naar KadastraleKaart Pro
Gerelateerde percelen
Aanduiding
S6 4VA5i 74n 4lEOR FUpgrade naar KadastraleKaart Pro
Ligging
Meer functies

Percelen
Gebruik de zoekbalk of klik op een perceel om informatie over het perceel te bekijken.