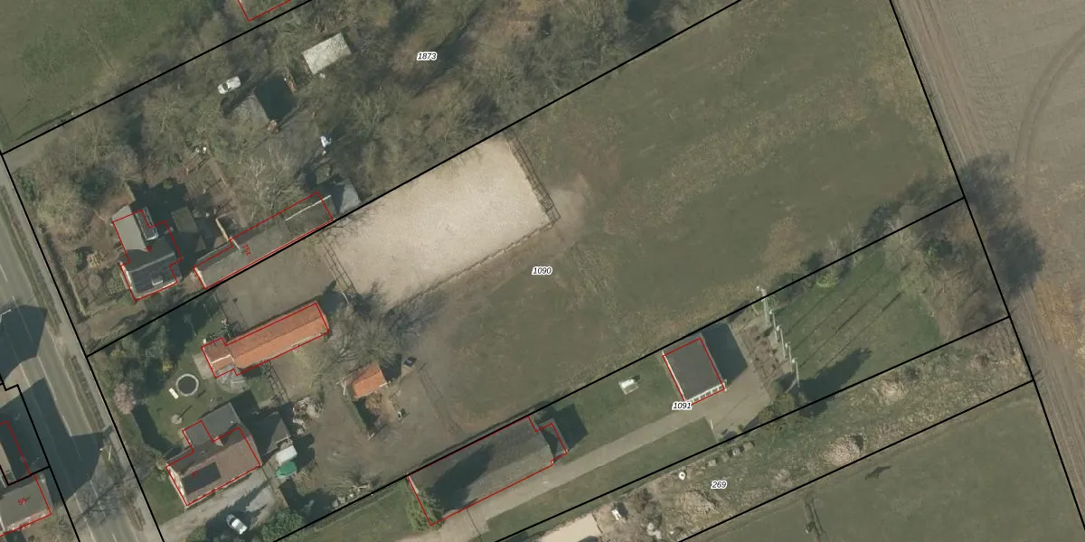
Perceel: SMR02-H-1090
KadastraleKaart.com kan meer dan je denktOntdek meer ›
Filter op bestemming 50+ datasets Eigendomsdata in één klik Percelen CRM
7.937 m2 - 423 m
Eigenaar opvragen
SMR02-H-1090 (Someren)
- 5712 AB
VtMpob06tHgbXkZ4GgOUpgrade naar KadastraleKaart Pro
Verkoopprijs opvragen
Bekijk op Street View
Download DWG/DXF/Excel
2CpkCrz0Upgrade naar KadastraleKaart Pro
AYUEZmm5HzGQQGUpgrade naar KadastraleKaart Pro
RkzLj2cwrvSuBT H uwcUpgrade naar KadastraleKaart Pro
B6ZW 43sn apE9Upgrade naar KadastraleKaart Pro
waVrv25eqL6d GMPzCsZ Upgrade naar KadastraleKaart Pro
dyHa2i6KLmbN2JLcs8reO75Upgrade naar KadastraleKaart Pro
YgpaLqmPRrUc11Upgrade naar KadastraleKaart Pro
yEaMAxxgDKmM tJcFLV5YtUpgrade naar KadastraleKaart Pro
6s9aYsoFUpgrade naar KadastraleKaart Pro
UdLaPduVRUpgrade naar KadastraleKaart Pro
17/12/2007

Percelen
Gebruik de zoekbalk of klik op een perceel om informatie over het perceel te bekijken.