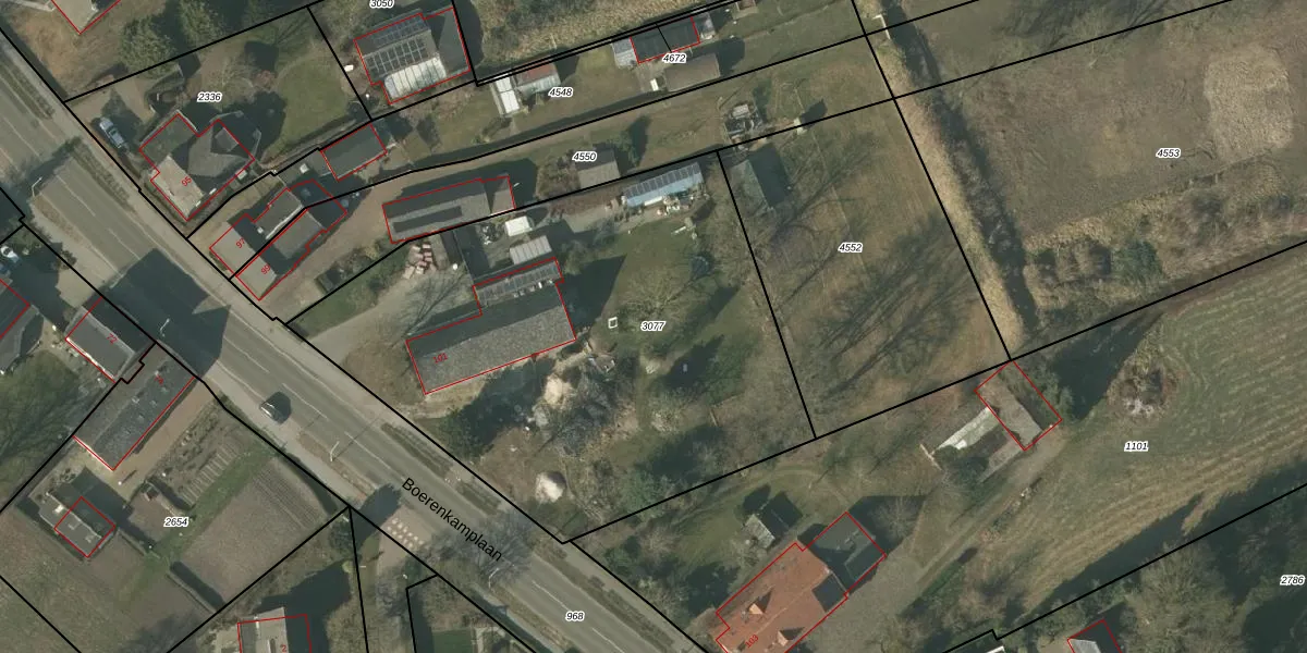
Perceel: SMR02-H-3077
KadastraleKaart.com kan meer dan je denktOntdek meer ›
Filter op bestemming 50+ datasets Eigendomsdata in één klik Percelen CRM
2.812 m2 - 215 m
Eigenaar opvragen
SMR02-H-3077 (Someren)
- 5712 AC
g0SO6pk C4E080O843tWA22YUpgrade naar KadastraleKaart Pro
Verkoopprijs opvragen
Bekijk op Street View
Download DWG/DXF/Excel
0ihP9 yafI0DHfgy Upgrade naar KadastraleKaart Pro
Mz v51J88yx5NTxpv2Upgrade naar KadastraleKaart Pro
p0pU B7fGd28sj Upgrade naar KadastraleKaart Pro
VdBuwgAUA8YBvgDj3BehjgUpgrade naar KadastraleKaart Pro
Qg9B7xI XvUxPQrUpgrade naar KadastraleKaart Pro
KSPQPNsst0i7fv DrHv0 6xUpgrade naar KadastraleKaart Pro
YjEBXFYEeAN5ChUej3qUpgrade naar KadastraleKaart Pro
LxHpyuCn7Upgrade naar KadastraleKaart Pro
DkQDFEtc gmxUpgrade naar KadastraleKaart Pro
xhqmu0boYG1Ks6cyx ompZZUpgrade naar KadastraleKaart Pro
21/04/2010

Percelen
Gebruik de zoekbalk of klik op een perceel om informatie over het perceel te bekijken.