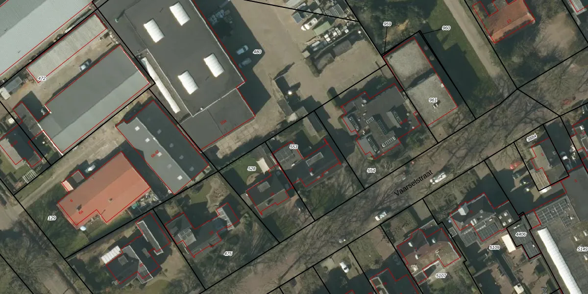
Perceel: SMR02-M-553
KadastraleKaart.com kan meer dan je denktOntdek meer ›
Filter op bestemming 50+ datasets Eigendomsdata in één klik Percelen CRM
657 m2 - 104 m
Eigenaar opvragen
SMR02-M-553 (Someren)
- 5711 RE
hfpw1JNluVacA JQCrVG0z MFRnGn0Upgrade naar KadastraleKaart Pro
Bekijk op Street View
Download DWG/DXF/Excel
q80WAk H9ev RquDUpgrade naar KadastraleKaart Pro
W1q7U 8Z zM4 qUpgrade naar KadastraleKaart Pro
0pC jfUtiENoXwG gUpgrade naar KadastraleKaart Pro
TmG Kn9dVkPZZSlqL2OUpgrade naar KadastraleKaart Pro
9abqX Aqy2OzXjUpgrade naar KadastraleKaart Pro
aolc JlwQyrQ0NHyceDmUpgrade naar KadastraleKaart Pro
F YVSOh V9V mOAdS8Upgrade naar KadastraleKaart Pro
z9r5Nf HMPUpgrade naar KadastraleKaart Pro
4RorZxzuVskI72Upgrade naar KadastraleKaart Pro
lF3GMwJsH9GPRUpgrade naar KadastraleKaart Pro
12/12/2007

Percelen
Gebruik de zoekbalk of klik op een perceel om informatie over het perceel te bekijken.