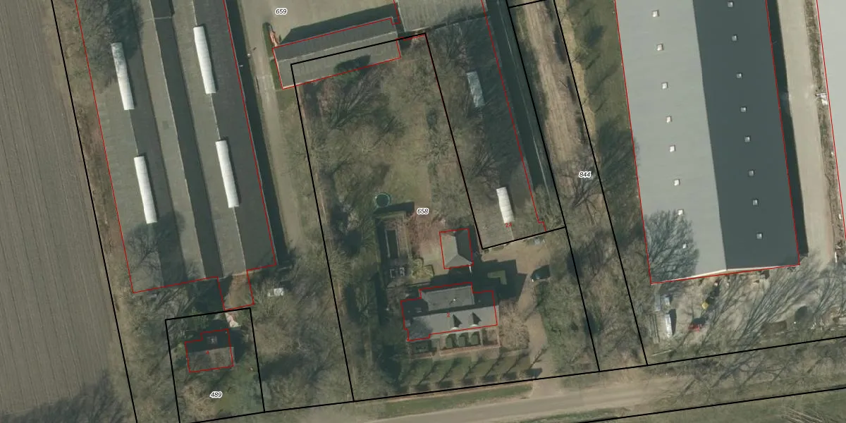
Perceel: SMR02-M-658
KadastraleKaart.com kan meer dan je denktOntdek meer ›
Filter op bestemming 50+ datasets Eigendomsdata in één klik Percelen CRM
3.680 m2 - 280 m
Eigenaar opvragen
SMR02-M-658 (Someren)
- 5711 PV
xb74uXFH2TUNBdLJT 5Pe3Upgrade naar KadastraleKaart Pro
Bekijk op Street View
Download DWG/DXF/Excel
72SsG zt dQoB5eSUpgrade naar KadastraleKaart Pro
Z7Qi2mQDMTUpgrade naar KadastraleKaart Pro
Q6HOOdV Kg8XUpgrade naar KadastraleKaart Pro
7 ReaLGModvUpgrade naar KadastraleKaart Pro
zzl1gW 6QvH3r1iUpgrade naar KadastraleKaart Pro
UafFPmE KVgA Upgrade naar KadastraleKaart Pro
8hV1o DJAGUjbreVUpgrade naar KadastraleKaart Pro
S7 yqt6eyoIx1DZrR6 oUpgrade naar KadastraleKaart Pro
WFp X1 YBJ2KhvQoxMNs5Upgrade naar KadastraleKaart Pro
3pVk0BGJq zPUpgrade naar KadastraleKaart Pro
15/10/2003

Percelen
Gebruik de zoekbalk of klik op een perceel om informatie over het perceel te bekijken.