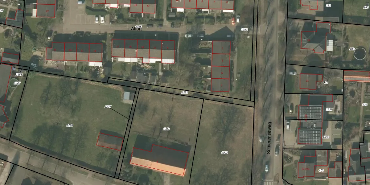
Perceel: SMR02-O-1281
KadastraleKaart.com kan meer dan je denktOntdek meer ›
Filter op bestemming 50+ datasets Eigendomsdata in één klik Percelen CRM
Geen adressen bij dit perceel
240 m2 - 167 m
Eigenaar opvragen
SMR02-O-1281 (Someren)
- Geen postcode aanwezig
g1AUy60XVwycjSZvTJyR0Upgrade naar KadastraleKaart Pro
Bekijk op Street View
Download DWG/DXF/Excel
a GQb5dDYGN5NY5MX12iUpgrade naar KadastraleKaart Pro
loDmGPgqhNKNUP Upgrade naar KadastraleKaart Pro
2OH0n8KKquGw17Ti IUpgrade naar KadastraleKaart Pro
ILXQFi9BDpjUpgrade naar KadastraleKaart Pro
be1yc4h73Upgrade naar KadastraleKaart Pro
85gVw 3EptmLNOtEuHT8PonUpgrade naar KadastraleKaart Pro
eYcS5uP QB ic3TlBUpgrade naar KadastraleKaart Pro
nN wDdmdUpgrade naar KadastraleKaart Pro
Qy42K5MyZnkCvbnL4Upgrade naar KadastraleKaart Pro
V4FzE2XzDZ NUpgrade naar KadastraleKaart Pro
24/11/2015

Percelen
Gebruik de zoekbalk of klik op een perceel om informatie over het perceel te bekijken.