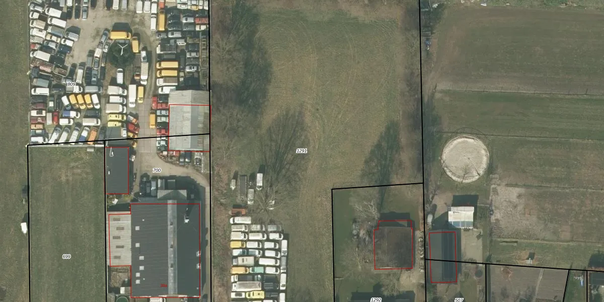
Perceel: SMR02-O-1291
KadastraleKaart.com kan meer dan je denktOntdek meer ›
Filter op bestemming 50+ datasets Eigendomsdata in één klik Percelen CRM
Geen adressen bij dit perceel
7.235 m2 - 399 m
Eigenaar opvragen
SMR02-O-1291 (Someren)
- Geen postcode aanwezig
Go026RbgJBsXWiD5asBo 4GUpgrade naar KadastraleKaart Pro
Bekijk op Street View
Download DWG/DXF/Excel
Wt2 GP33gb6yASNuGaXwUpgrade naar KadastraleKaart Pro
RytsFUXhzephlqo IWxXUpgrade naar KadastraleKaart Pro
P82HsbWT XZrCoqPUpgrade naar KadastraleKaart Pro
qz FY OiUpgrade naar KadastraleKaart Pro
OR re570pVVhxfSUpgrade naar KadastraleKaart Pro
aOBAgRAwa4GzHpXUpgrade naar KadastraleKaart Pro
4vkyBYLOUpgrade naar KadastraleKaart Pro
tt e02D 6WP3srRYgTnEJUpgrade naar KadastraleKaart Pro
nDyF91iiEdUpgrade naar KadastraleKaart Pro
eAE31CUIOi ufx M Upgrade naar KadastraleKaart Pro
01/11/2017

Percelen
Gebruik de zoekbalk of klik op een perceel om informatie over het perceel te bekijken.