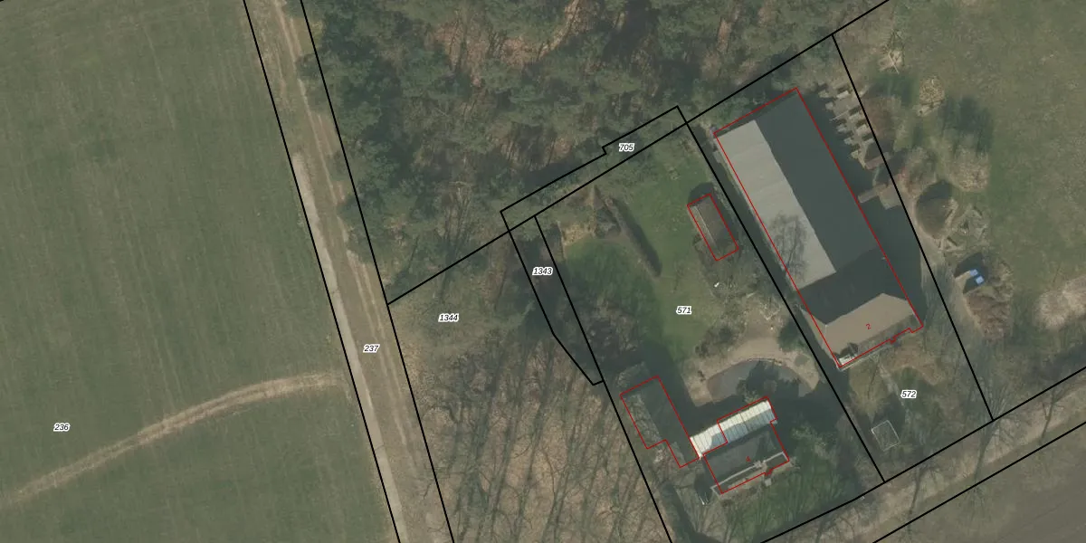
Perceel: SMR02-O-1343
KadastraleKaart.com kan meer dan je denktOntdek meer ›
Filter op bestemming 50+ datasets Eigendomsdata in één klik Percelen CRM
Geen adressen bij dit perceel
153 m2 - 73 m
Eigenaar opvragen
SMR02-O-1343 (Someren)
- Geen postcode aanwezig
NMrL kq1JtHd9Zyrb 8ynABtUpgrade naar KadastraleKaart Pro
Bekijk op Street View
Download DWG/DXF/Excel
jcYBi6DP QUpgrade naar KadastraleKaart Pro
yolHFAzdy NO1K5clD3y9Upgrade naar KadastraleKaart Pro
hfa1bm9AwVEUy Dv5KUpgrade naar KadastraleKaart Pro
Dd7RBI7xO5mvGAUObgp VpIUpgrade naar KadastraleKaart Pro
3rKv8c6Ppw6ZU 2T5ow O eUpgrade naar KadastraleKaart Pro
1caBt tKyUpgrade naar KadastraleKaart Pro
7EPV2UlIOxUpgrade naar KadastraleKaart Pro
WGqpnw8x2MUpgrade naar KadastraleKaart Pro
NSL0b6wv Ap 0 JAeWUpgrade naar KadastraleKaart Pro
O tPSqiweunY8Upgrade naar KadastraleKaart Pro
28/06/2021

Percelen
Gebruik de zoekbalk of klik op een perceel om informatie over het perceel te bekijken.