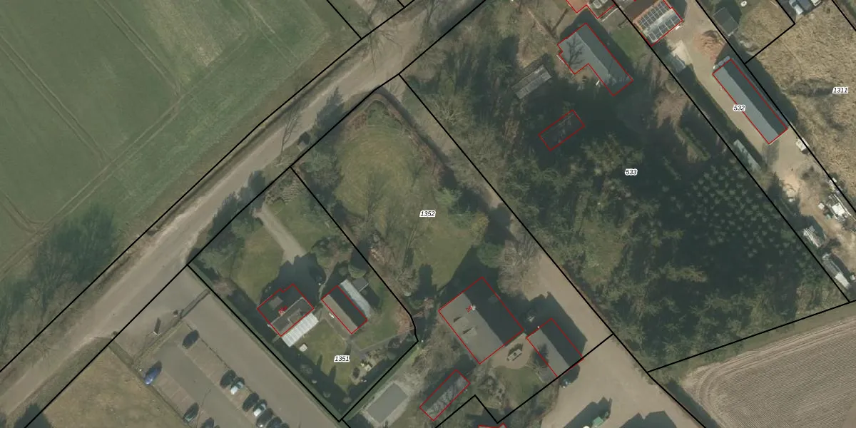
Perceel: SMR02-O-1352
KadastraleKaart.com kan meer dan je denktOntdek meer ›
Filter op bestemming 50+ datasets Eigendomsdata in één klik Percelen CRM
3.125 m2 - 273 m
Eigenaar opvragen
SMR02-O-1352 (Someren)
- 5715 BM
E9qtWTxWMvjXRMw2GQQ Upgrade naar KadastraleKaart Pro
Verkoopprijs opvragen
Bekijk op Street View
Download DWG/DXF/Excel
lkcxZR CUpgrade naar KadastraleKaart Pro
bxjr1ntYUpgrade naar KadastraleKaart Pro
bSWuNEhQKdg1YN7ZIXakUpgrade naar KadastraleKaart Pro
L6Zyyfd Que436Ilnzjbs Upgrade naar KadastraleKaart Pro
m emnpl0BUpgrade naar KadastraleKaart Pro
ttA 8oUsm KUpgrade naar KadastraleKaart Pro
3pbt Ad2E tUUpgrade naar KadastraleKaart Pro
7ZGb C4VN3y8 PGk Upgrade naar KadastraleKaart Pro
MxzaN vpUpgrade naar KadastraleKaart Pro
b BDrp 1LWdGhZVEUpgrade naar KadastraleKaart Pro
05/11/2021

Percelen
Gebruik de zoekbalk of klik op een perceel om informatie over het perceel te bekijken.