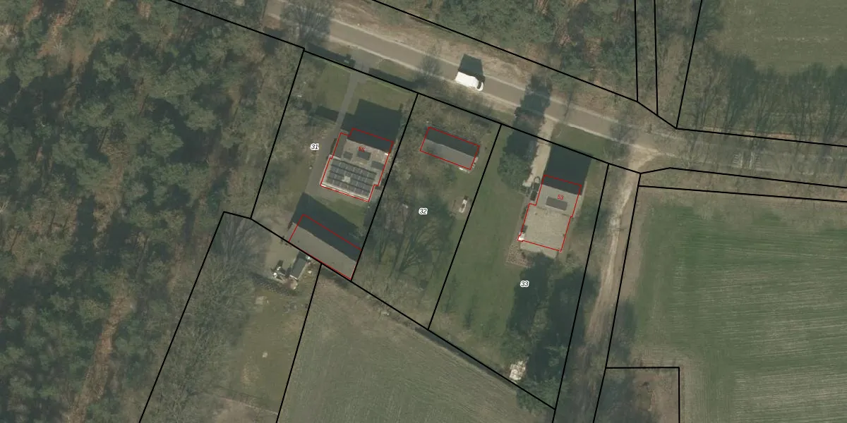
Perceel: SMR02-O-32
KadastraleKaart.com kan meer dan je denktOntdek meer ›
Filter op bestemming 50+ datasets Eigendomsdata in één klik Percelen CRM
Geen adressen bij dit perceel
1.050 m2 - 142 m
Eigenaar opvragen
SMR02-O-32 (Someren)
- Geen postcode aanwezig
UCj7YxsPR2MjdUyBWUpgrade naar KadastraleKaart Pro
Bekijk op Street View
Download DWG/DXF/Excel
s qjT5Za5bUpgrade naar KadastraleKaart Pro
TgCq ODq3BFQdk Upgrade naar KadastraleKaart Pro
iEaEydyZ oN MNRCr0Upgrade naar KadastraleKaart Pro
uN3nc2bi MVPOnu LtoPFcUpgrade naar KadastraleKaart Pro
wvR8D JdWGpwohEICUpgrade naar KadastraleKaart Pro
x zph4Vr9STOHOUpgrade naar KadastraleKaart Pro
c5unAPsaptkqUpgrade naar KadastraleKaart Pro
1NtkIaZIqvXU GeFaUpgrade naar KadastraleKaart Pro
qGAoQj Dv zTgUpgrade naar KadastraleKaart Pro
3oSDjx1TNNGMP7ynj23Upgrade naar KadastraleKaart Pro
13/10/2003

Percelen
Gebruik de zoekbalk of klik op een perceel om informatie over het perceel te bekijken.