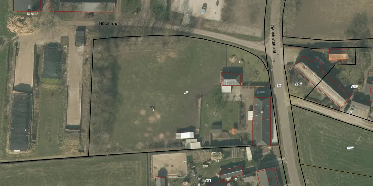
Perceel: SMR02-O-45
KadastraleKaart.com kan meer dan je denktOntdek meer ›
Filter op bestemming 50+ datasets Eigendomsdata in één klik Percelen CRM
5.700 m2 - 306 m
Eigenaar opvragen
SMR02-O-45 (Someren)
- 5715 BA
un tixABk6gR8m8sEuWEsAkJ FrF9fhUpgrade naar KadastraleKaart Pro
Verkoopprijs opvragen
Bekijk op Street View
Download DWG/DXF/Excel
3VvrkR zjXPWUpgrade naar KadastraleKaart Pro
xp2x bq9c5Upgrade naar KadastraleKaart Pro
uXi1FaoLv6NUpgrade naar KadastraleKaart Pro
Vl wnL8NVtJiDUpgrade naar KadastraleKaart Pro
2zP8PatPL tEZXLYEMUpgrade naar KadastraleKaart Pro
mEj3P J8DiEDqqUpgrade naar KadastraleKaart Pro
WSH5 owyu pfe0Be2nGUUpgrade naar KadastraleKaart Pro
i6BYNLrGXUpgrade naar KadastraleKaart Pro
kN83UH59nakz0WqTunNJUpgrade naar KadastraleKaart Pro
1TXKfn6g7Y Z OULp8bUpgrade naar KadastraleKaart Pro
18/12/2007

Percelen
Gebruik de zoekbalk of klik op een perceel om informatie over het perceel te bekijken.