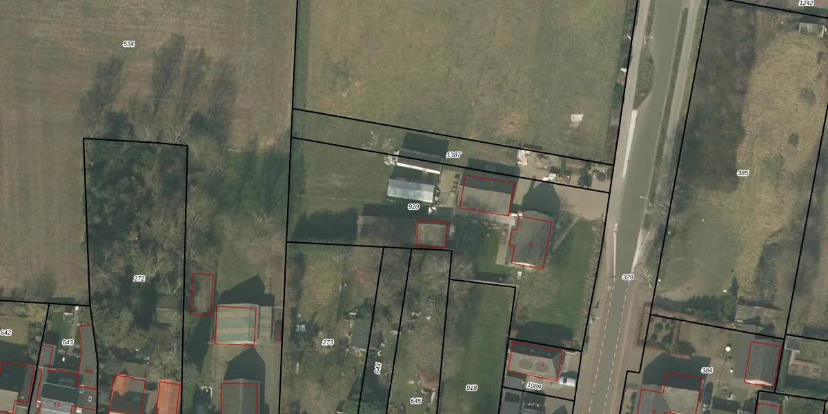
Perceel: SMR02-O-920
KadastraleKaart.com kan meer dan je denktOntdek meer ›
Filter op bestemming 50+ datasets Eigendomsdata in één klik Percelen CRM
2.155 m2 - 236 m
Eigenaar opvragen
SMR02-O-920 (Someren)
- 5715 BK
Ixj4khTtnxodEfx 1Upgrade naar KadastraleKaart Pro
Verkoopprijs opvragen
Bekijk op Street View
Download DWG/DXF/Excel
xhZEWho sAjQzOUpgrade naar KadastraleKaart Pro
F s w1 FcGnFtlg76 enUpgrade naar KadastraleKaart Pro
PXDW0WIlK HMCidmUpgrade naar KadastraleKaart Pro
BO4RAc OtRYNUpgrade naar KadastraleKaart Pro
uP10LIh uvOFZbx9Upgrade naar KadastraleKaart Pro
6CaU Sj00olt KojUpgrade naar KadastraleKaart Pro
kLD6 V5 4 SQUpgrade naar KadastraleKaart Pro
uD8UyiwRtSPBUs7Upgrade naar KadastraleKaart Pro
bwWn 3u7 t Upgrade naar KadastraleKaart Pro
htBCuW9qXyKaP Ul6YvsMUpgrade naar KadastraleKaart Pro
18/12/2007

Percelen
Gebruik de zoekbalk of klik op een perceel om informatie over het perceel te bekijken.