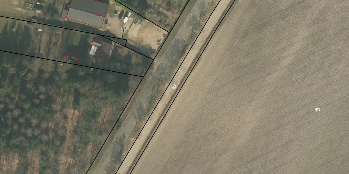
Perceel: SMR02-P-197
KadastraleKaart.com kan meer dan je denktOntdek meer ›
Filter op bestemming 50+ datasets Eigendomsdata in één klik Percelen CRM
Geen adressen bij dit perceel
1.405 m2 - 415 m
Eigenaar opvragen
SMR02-P-197 (Someren)
- Geen postcode aanwezig
eEzHQy0pNpY32G3xR4 Upgrade naar KadastraleKaart Pro
Bekijk op Street View
Download DWG/DXF/Excel
RwhtQkjPBWN9AbgOHUpgrade naar KadastraleKaart Pro
ZdUpd4AZAp1 CYUpgrade naar KadastraleKaart Pro
4 i2ZA 1JRLm9XaPQXb4zWUpgrade naar KadastraleKaart Pro
pO0V aA7YW9ynJPpj gqRUpgrade naar KadastraleKaart Pro
Lm4aLtZy6gKAzI71 wUpgrade naar KadastraleKaart Pro
YBkxGTpEQXCaUpgrade naar KadastraleKaart Pro
5MyZgmUiDy vN WUpgrade naar KadastraleKaart Pro
yJsD1q9LuUpgrade naar KadastraleKaart Pro
bhQFUYn2ELxJCl bIUpgrade naar KadastraleKaart Pro
a22dS8VtKWUpgrade naar KadastraleKaart Pro
12/02/2009

Percelen
Gebruik de zoekbalk of klik op een perceel om informatie over het perceel te bekijken.