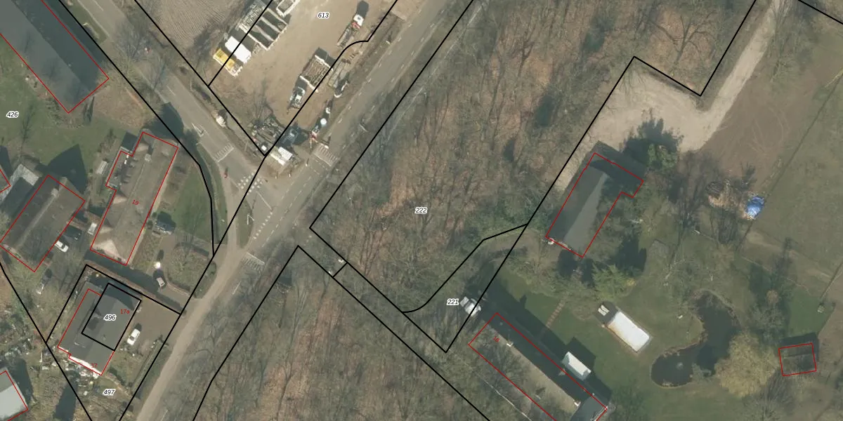
Perceel: SMR02-P-222
KadastraleKaart.com kan meer dan je denktOntdek meer ›
Filter op bestemming 50+ datasets Eigendomsdata in één klik Percelen CRM
Geen adressen bij dit perceel
4.660 m2 - 347 m
Eigenaar opvragen
SMR02-P-222 (Someren)
- Geen postcode aanwezig
UcOpFm2BXXu enZ1XBmjsQD 2tirNUpgrade naar KadastraleKaart Pro
Bekijk op Street View
Download DWG/DXF/Excel
XfKrZqA CV PpqOogmUpgrade naar KadastraleKaart Pro
1N MaLGx11NNE Upgrade naar KadastraleKaart Pro
q v1MS3HIKuq40IAUpgrade naar KadastraleKaart Pro
u8W xViA2S3p bmiUpgrade naar KadastraleKaart Pro
J8qREsGv1 B kZW2LICf60Upgrade naar KadastraleKaart Pro
UuqEZ K2VUpgrade naar KadastraleKaart Pro
ac 4q5aDVnUpgrade naar KadastraleKaart Pro
WC2hl5UQUpgrade naar KadastraleKaart Pro
hvID5nCQJcLb eHtnPAUpgrade naar KadastraleKaart Pro
JNLCg Yt6QmmUpgrade naar KadastraleKaart Pro
15/02/2016

Percelen
Gebruik de zoekbalk of klik op een perceel om informatie over het perceel te bekijken.