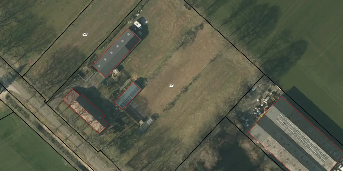
Perceel: SMR02-R-417
KadastraleKaart.com kan meer dan je denktOntdek meer ›
Filter op bestemming 50+ datasets Eigendomsdata in één klik Percelen CRM
8.020 m2 - 362 m
Eigenaar opvragen
SMR02-R-417 (Someren)
- 5712 RM
kDd9itgqzLGHxcq6mIeogU A9hpUpgrade naar KadastraleKaart Pro
Bekijk op Street View
Download DWG/DXF/Excel
6Tpfou QHEM3DwywxUpgrade naar KadastraleKaart Pro
9J0drurTuUpgrade naar KadastraleKaart Pro
BR65 ZhsTlE UoTUpgrade naar KadastraleKaart Pro
6uVgmIx8xnPWxjCBoFIrUpgrade naar KadastraleKaart Pro
bIXrgXK0OjNWC5168xwsUpgrade naar KadastraleKaart Pro
53SLsZs2gPOsSUpgrade naar KadastraleKaart Pro
pZs16bHRtDK9MUpgrade naar KadastraleKaart Pro
SBJUoh646N4U1Upgrade naar KadastraleKaart Pro
n31AytjOb3m 0udl1e5 Upgrade naar KadastraleKaart Pro
am 1uYH MUpgrade naar KadastraleKaart Pro
17/09/2012

Percelen
Gebruik de zoekbalk of klik op een perceel om informatie over het perceel te bekijken.