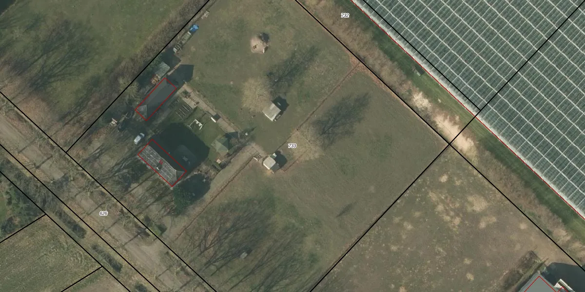
Perceel: SMR02-R-733
KadastraleKaart.com kan meer dan je denktOntdek meer ›
Filter op bestemming 50+ datasets Eigendomsdata in één klik Percelen CRM
8.608 m2 - 370 m
Eigenaar opvragen
SMR02-R-733 (Someren)
- 5712 RM
ZF3mj1VxLAo ZkAL9h56 tdNLbCAUpgrade naar KadastraleKaart Pro
Verkoopprijs opvragen
Bekijk op Street View
Download DWG/DXF/Excel
XYfkG7GqerIFUpgrade naar KadastraleKaart Pro
iqSK zJhFUpgrade naar KadastraleKaart Pro
jX xfj5iG KPRUpgrade naar KadastraleKaart Pro
hl4NXibYQW3EIpp4z cUpgrade naar KadastraleKaart Pro
O9Fs d Re FgEXdKZL90fUpgrade naar KadastraleKaart Pro
UfwMTa xtETlFBoYVzRAUpgrade naar KadastraleKaart Pro
EJtjIBVFpCmC6mF9W PUpgrade naar KadastraleKaart Pro
m tyYe99wuSI6ShPIINbQ0Upgrade naar KadastraleKaart Pro
LpAaQl5 Upgrade naar KadastraleKaart Pro
fojITzy41dLIUpgrade naar KadastraleKaart Pro
07/03/2008

Percelen
Gebruik de zoekbalk of klik op een perceel om informatie over het perceel te bekijken.