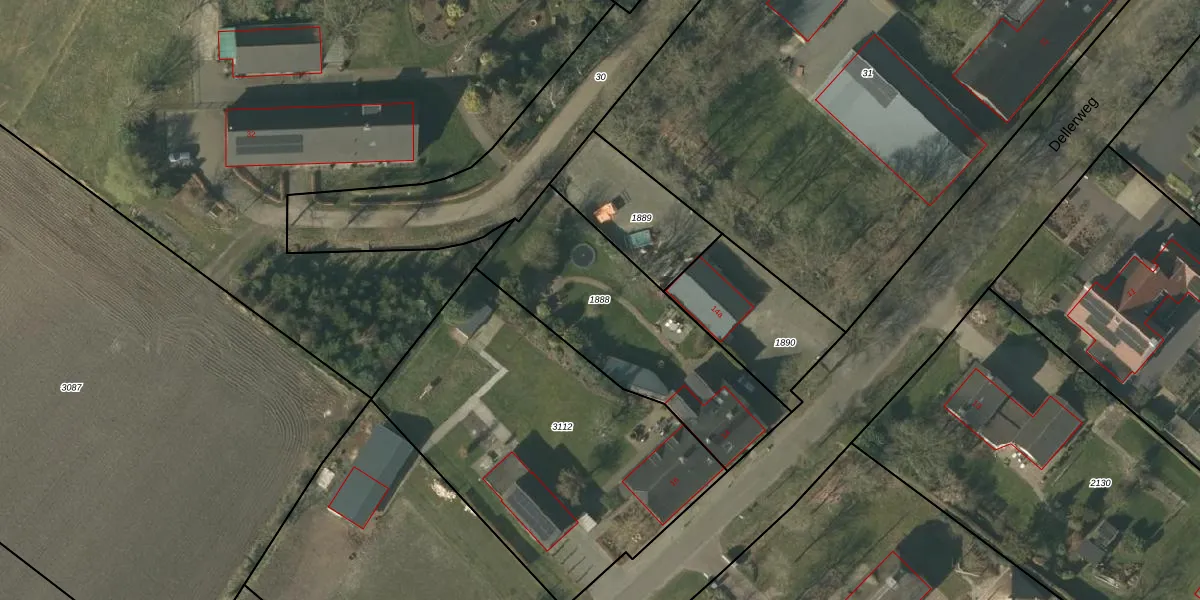
Perceel: SMR02-S-1888
KadastraleKaart.com kan meer dan je denktOntdek meer ›
Filter op bestemming 50+ datasets Eigendomsdata in één klik Percelen CRM
905 m2 - 144 m
Eigenaar opvragen
SMR02-S-1888 (Someren)
- 5712 GT
Iy8PZYYt4ynmuEm75Upgrade naar KadastraleKaart Pro
Verkoopprijs opvragen
Bekijk op Street View
Download DWG/DXF/Excel
Y l4 m1t YPxUb UG Upgrade naar KadastraleKaart Pro
KQpt4WAIJhHDQCE2uUpgrade naar KadastraleKaart Pro
FG0 Cvt 9t4bgKze3nbUpgrade naar KadastraleKaart Pro
XyjzKS5ud MHksUpgrade naar KadastraleKaart Pro
Lei0VdSUCXCUpgrade naar KadastraleKaart Pro
Mz2gBlXrtp pC Upgrade naar KadastraleKaart Pro
gFbk 0Aa1rMfxglg6 FUpgrade naar KadastraleKaart Pro
15a UsXTyv9gqe2SMYUpgrade naar KadastraleKaart Pro
5SC 4xWlKUpgrade naar KadastraleKaart Pro
gN Uoej tqHUpgrade naar KadastraleKaart Pro
18/12/2007

Percelen
Gebruik de zoekbalk of klik op een perceel om informatie over het perceel te bekijken.