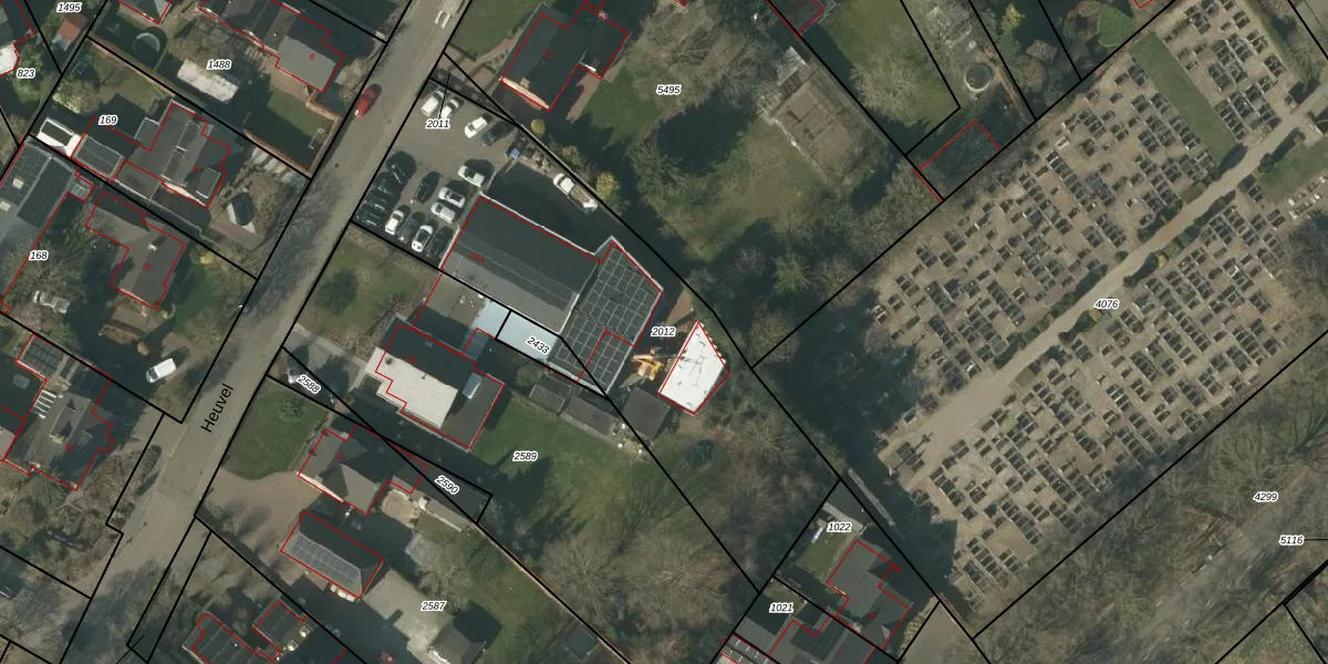
Perceel: SMR02-S-2012
KadastraleKaart.com kan meer dan je denktOntdek meer ›
Filter op bestemming 50+ datasets Eigendomsdata in één klik Percelen CRM
1.846 m2 - 218 m
Eigenaar opvragen
SMR02-S-2012 (Someren)
- 5712 EH
qBGFLZ1 R0w7CggrP Fljoh ftPqgkUpgrade naar KadastraleKaart Pro
Bekijk op Street View
Download DWG/DXF/Excel
ebXIQ3TGDFuL1vUpgrade naar KadastraleKaart Pro
K6pXOWYNjZuX Upgrade naar KadastraleKaart Pro
lv2xKK8 R93NYUpgrade naar KadastraleKaart Pro
sWt 2 l 5wyFnyUpgrade naar KadastraleKaart Pro
sg KwDWMf Upgrade naar KadastraleKaart Pro
fYGXp S GJnkTP 0xG56DUpgrade naar KadastraleKaart Pro
DrETi7EMFZUPUpgrade naar KadastraleKaart Pro
Qj6q EDz q5VSPS RUpgrade naar KadastraleKaart Pro
h0K 6lB 9KL LHrUpgrade naar KadastraleKaart Pro
SpdxV7shBWUpgrade naar KadastraleKaart Pro
03/07/2014

Percelen
Gebruik de zoekbalk of klik op een perceel om informatie over het perceel te bekijken.