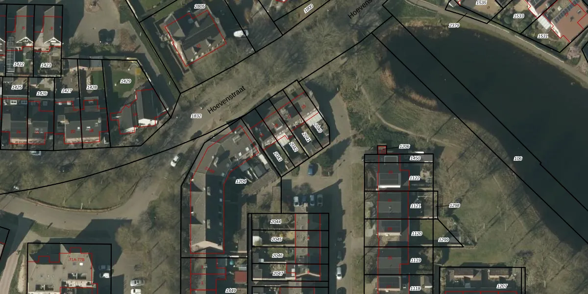
Perceel: SMR02-S-2042
KadastraleKaart.com kan meer dan je denktOntdek meer ›
Filter op bestemming 50+ datasets Eigendomsdata in één klik Percelen CRM
140 m2 - 60 m
Eigenaar opvragen
SMR02-S-2042 (Someren)
- 5712 GW
7OGQRGkakMSqzG3wBUpgrade naar KadastraleKaart Pro
Bekijk op Street View
Download DWG/DXF/Excel
88msX8YdnsN zfOSCKiRUpgrade naar KadastraleKaart Pro
AlPyxpLJ27 tBgl HuVY4Upgrade naar KadastraleKaart Pro
8OBlZx4JZ58s2S14w4pUpgrade naar KadastraleKaart Pro
StgnfiZ59 bUHq1QCIUpgrade naar KadastraleKaart Pro
RNpjK1aYD upOMzj4lLUpgrade naar KadastraleKaart Pro
PqDPd8Ocftk8dALt 1Upgrade naar KadastraleKaart Pro
5Y8aE5hv8pUpgrade naar KadastraleKaart Pro
6NHG7hdSBUpgrade naar KadastraleKaart Pro
OZWhY r t 9teCVDhUpgrade naar KadastraleKaart Pro
J zgw pfi D3uYMUpgrade naar KadastraleKaart Pro
12/10/2011

Percelen
Gebruik de zoekbalk of klik op een perceel om informatie over het perceel te bekijken.