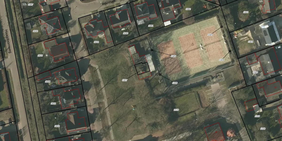
Perceel: SMR02-T-1327
65 m2 - 33 m
Eigenaar opvragen
SMR02-T-1327 (Someren)
- 5712 CN
Ighv0SJ a8gzUm Fb A fFPzUpgrade naar KadastraleKaart Pro
Bekijk op Street View
Download DWG/DXF/Excel
mXAXvFT6J5pDUln12kGUpgrade naar KadastraleKaart Pro
cKiw4LF8e4 Upgrade naar KadastraleKaart Pro
GI8n jDoJxcyUpgrade naar KadastraleKaart Pro
a7bUUwZMErKC hMb4Faj0rVUpgrade naar KadastraleKaart Pro
jT4ve4ymKhUlrChUpgrade naar KadastraleKaart Pro
t8R0V14Upgrade naar KadastraleKaart Pro
baMVy hbtn35uCy4lYyOUpgrade naar KadastraleKaart Pro
TxfDPyG8EfUpgrade naar KadastraleKaart Pro
XgHMJnhCIUpgrade naar KadastraleKaart Pro
NWxXzv3pUzxkN 5wlqUpgrade naar KadastraleKaart Pro
24/02/2010

Percelen
Gebruik de zoekbalk of klik op een perceel om informatie over het perceel te bekijken.