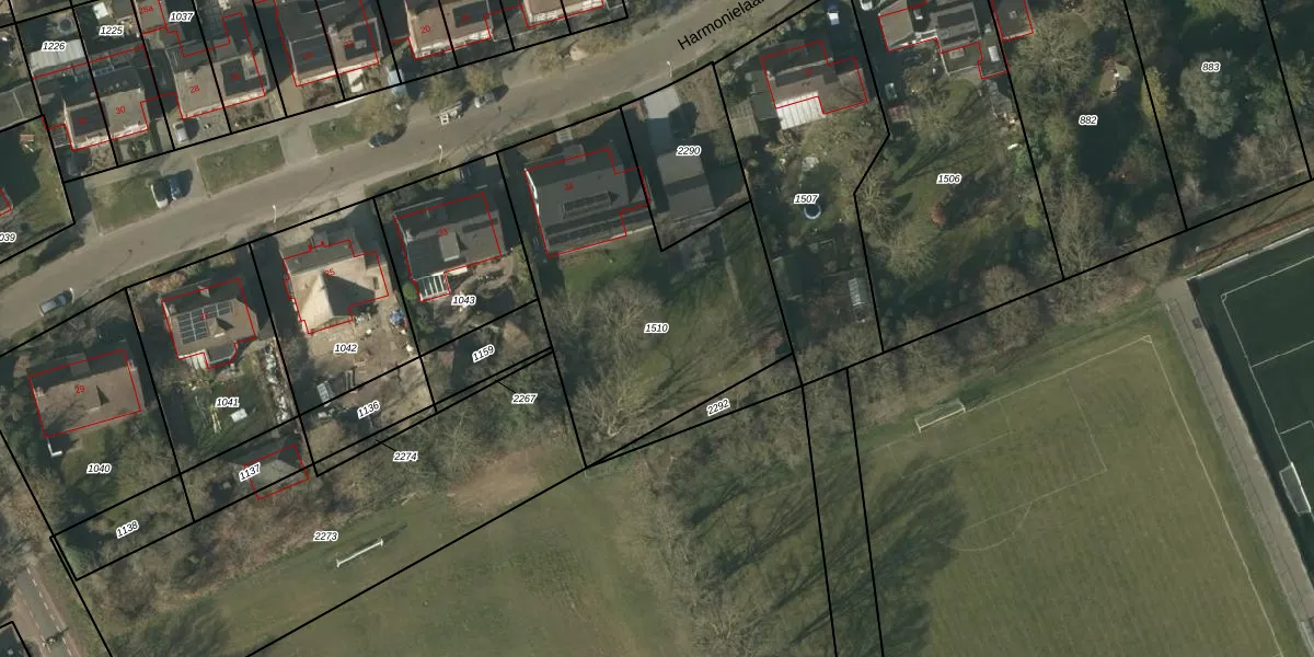
Perceel: SMR02-T-1510
KadastraleKaart.com kan meer dan je denktOntdek meer ›
Filter op bestemming 50+ datasets Eigendomsdata in één klik Percelen CRM
1.330 m2 - 168 m
Eigenaar opvragen
SMR02-T-1510 (Someren)
- 5712 BX
gBt47Y ZUgvVZsk N3cSGwqLUpgrade naar KadastraleKaart Pro
Verkoopprijs opvragen
Bekijk op Street View
Download DWG/DXF/Excel
QV13A0Vs2Upgrade naar KadastraleKaart Pro
uTSl8FYxXWJxn9TvHhCSUpgrade naar KadastraleKaart Pro
eil8tHhGKYNVdUpgrade naar KadastraleKaart Pro
J2kefe5qopN Upgrade naar KadastraleKaart Pro
0hADtQEE 6H1CUpgrade naar KadastraleKaart Pro
Cf8AizMHJ81XJdKyJq1IUpgrade naar KadastraleKaart Pro
7OZyEJAJ0pY7BHhUpgrade naar KadastraleKaart Pro
FNHlEGU OUpgrade naar KadastraleKaart Pro
arScj gUUxFEjWhtNZtSGUpgrade naar KadastraleKaart Pro
2ABx7JIirMDCJnut0Upgrade naar KadastraleKaart Pro
06/07/2017

Percelen
Gebruik de zoekbalk of klik op een perceel om informatie over het perceel te bekijken.